¾Æ¶ó¹Ù¶÷ > (°¨¼ºµ¼)¸î Àϰ ´ë¹° ÇàÁø 5Â¥~4Â¥ÀüÈÄ ¸¶¸´¼ö~´ë¾î¼±¿Ü±â(3ÀÏ ¿¹¾à) : ³¬½Ã»ç¶û
ȸ¿ø°¡ÀÔ | ·Î±×ÀΠ| ½ÃÀÛÆäÀÌÁö | Áñ°Üã±â | ¹®ÀÇ/¿äû/½Å°í
³¬½ÃÅͼ±Åà | Àαâ°Ë»ö¾î | ¹Î¹°ÈÄ¿ø³¬½ÃÅÍ | ¹Ù´ÙÈÄ¿øÅÍ
 
¹Î¹°³¬½Ã | Á´ë/À¯·áÅÍ | ¹Ù´Ù³¬½Ã | ·ç¾î³¬½Ã | Ä¿¹Â´ÏƼ | ³¬¶ûŬ·´ | ³¬½Ã½ºÄð | Áß°íÀåÅÍ | ³¬½ÃQ&A | »ç¿ë±â/°­Á | ÃâÁ¶Á¤º¸ | °ø±¸/¿ëǰÁ¤º¸

 Æ¯ÆÄ¿ø(ÃâÁ¶Á¡)Á¶È²Á¤º¸

- º» °Ô½Ã¹°À» ¹«´Ü ´Ù¿î·Îµå, µµ¿ë, Àοë, ¸µÅ© ±ÝÁö. HOME >¹Ù´Ù³¬½Ã >ƯÆÄ¿ø(ÃâÁ¶Á¡)Á¶È²Á¤º¸

¾Æ¶ó¹Ù¶÷
ÀÛ¼ºÀÏ : 2026-04-02 17:14:51 / Á¶È¸ : 1,801      

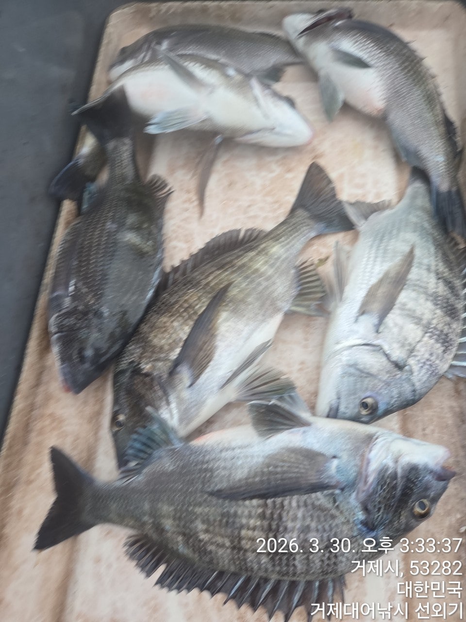
Á¦¸ñ l ¾Æ¶ó¹Ù¶÷ > (°¨¼ºµ¼)¸î Àϰ ´ë¹° ÇàÁø 5Â¥~4Â¥ÀüÈÄ ¸¶¸´¼ö~´ë¾î¼±¿Ü±â(3ÀÏ ¿¹¾à) : ³¬½Ã»ç¶û

¼±¿Ü±â 5Â¥~4Â¥ ´ë¹Ú ¼Õ¸À~´ë¹° ¹°¶§ Âß~
2ÀÏ(¸ñ¿äÀÏ) °ÅÁ¦ ´ë¾î¼±¿Ü±â ´ë¿©, ´ë¹° °¨¼ºµ¼³¬½Ã (ö¼ö)ÇÖÁ¶È²ÀÔ´Ï´Ù.
¡Ø ¼±¿Ü±â´Â ¸éÇã°¡ ¾ø¾îµµ ¿îÀüÀÌ °¡´ÉÇÕ´Ï´Ù. 3ºÐ±³À°ÈÄ, Á÷Á¢ ¸ô°í °¡¼¼¿ä.
¡Ø 53CmÀÌ»ó °¨¼ºµ¼ üÆ÷½Ã, ¾ÆÁöÄ«(AJIKA) °øµ¿À̺¥Æ®, ÃÖ»ó±Þ ¿øÁÙ ÁõÁ¤.
¡Ø 16½Ã 30ºÐ±îÁö Ç×±¸ µµÂø~!!! ¾ÈÀü»ó ²À ½Ã°£ ¾ö¼ö ºÎʵ右´Ï´Ù~

¡Ù 3ÀÏ(±Ý¿äÀÏ) ¼±¿Ü±â ´ë¿©, ¼±´Ü °¨¼ºµ¼ ¼±»ó³¬½Ã"¿¹¾à°¡´É"
¢º¼±»ó³¬½Ã/¼±¿Ü±â/´Üµ¶Ææ¼Ç ¿î¿µ(°¡Á·,Ãʺ¸, »ýȰ³¬½Ã´Â "°ÅÁ¦´ë¾î¼±¿Ü±â" )
(°¨¼ºµ¼)¼±¿Ü±â ¼Ò½Ä~ÃÖ°íÀÇ ¹°¶§ 5Â¥~4Â¥µé·Î À̸¸Å­

°ÅÁ¦ ´ë¾î³¬½Ã ¼±¿Ü±â Á¶È²ÀÔ´Ï´Ù.
¼±¿Ü±â ¿µ¾÷ ±¸¿ª ±¸¼® ±¸¼®¿¡¼­ ¿µµîö ´ë¹° ½ÃÁð¿¡ °É¸Â´Â ³ðµéÀÇ
ÀÔÁúÀÌ À̾îÁ³½À´Ï´Ù ¸·°­ÇÑ ÆÄ¿ö¿¡ ¹öƼ°í ¹öƼ´Ù ÆÃ~ ÃѼҸ®°¡
¿ï·ÁÆÛÁ³°í, ´Ù¾çÇÑ °÷¿¡¼­ ¾¾¾Ë ÁÁÀº °¨¼ºµ¼À»À» È®ÀÎÇÒ ¼ö
ÀÖ¾ú³×¿ä. ÃÖ°íÀÇ ´ë¹° ¹°¶§ ¿µµî»ç¸®´Â Âß~ À̾îÁý´Ï´Ù.
5Â¥ ´ë¹° ¿Ü 4Â¥ 4Â¥±Þµé·Î ¸¶¸´¼ö¸¦ ä¿ü°í ÃÖ±Ù ²ÙÁØÇÑ
Á¶È²À» º¸À̴ Ư±Þ Æ÷ÀÎÆ®µé·Î ¾È³»Çص帮´Ï ´ë¹° ½ÃÁð
±â·Ï °í±â¿¡ µµÀüÇØº¸½Ê½Ã¿À~

3ÀÏ(±Ý¿äÀÏ)¼±¿Ü±â ´ë¹° °¨¼ºµ¼³¬½Ã ¿¹¾à °¡´ÉÇÕ´Ï´Ù~
¿À´Ãµµ °ÅÁ¦´ë¾î ¼±¿Ü±â¸¦ ÀÌ¿ëÇØÁֽŠÁ¶»ç´Ôµé ¼ö°í ¸¹À¸¼Ì½À´Ï´Ù.
¡Ø¼Õ¸À º¸½Ã°í ö¼ö ÇϽǶ§ ¿äû Áֽøé ÀâÀ¸½Å °í±â ¼ÒÁ¤ÀÇ
ºñ¿ëÀ¸·Î ¼ÕÁú ÇØµå¸³´Ï´Ù~ ¼±Àå´Ô²² ¿äûÁÖ¼¼¿ä~.

¢Ã °ÅÁ¦´ë¾î³¬½Ã¼±¿Ü±â´ë¿© ÀÏÁ¤ ¾È³» ¢Ã
¡Ú¼÷¹Ú+³¬½Ã¹è¸¦ µ¿½Ã¿¡ ÀÌ¿ëÇϰíÀÚ ÇÏ´Â ºÐµéÀº ÇÒÀÎ ÇýÅà Àû¿ë.
¡Ù4¿ù 3ÀÏ(±Ý) ¼±¿Ü±â "¿µµîö ´ë¹° °¨¼ºµ¼³¬½Ã, ¼±´Ü °¨¼ºµ¼ "¿¹¾à°¡´É"
¡Ù4¿ù 4ÀÏ(Åä) ¼±¿Ü±â "¿µµîö ´ë¹° °¨¼ºµ¼³¬½Ã, ¼±´Ü °¨¼ºµ¼ "¿¹¾à°¡´É"
¡Ù4¿ù 5ÀÏ(ÀÏ) ¼±¿Ü±â "¿µµîö ´ë¹° °¨¼ºµ¼³¬½Ã, ¼±´Ü °¨¼ºµ¼ "¿¹¾à°¡´É"
¡Ø ÁÖ¸» °øÈÞÀÏÀº ¹Ì¸® ¹Ì¸® ¿¹¾àÀ» ÇØ ÁÖ½Ã±æ ¹Ù¶ø´Ï´Ù.
¡Ø ³¬½ÃÀåºñ°¡ ÇÊ¿äÇϽŠºÐµéÀº ÀÓ´ë ÇØ µå¸³´Ï´Ù. ¿¹¾à½Ã ²À ¾Ë·Á ÁÖ¼¼¿ä.
¡Ø 16½Ã 30ºÐ±îÁö Ç×±¸ µµÂø~!!! ¾ÈÀü»ó ²À ½Ã°£ ¾ö¼ö ºÎʵ右´Ï´Ù~

°ÅÁ¦´ë¾î³¬½Ã ¼±¿Ü±â(¼±»ó)³¬½Ã ¿¹¾à(µ¶Ã¤ ¹Î¹Ú)
¹®ÀÇ ¢Ï 010-640-2082 / ¢Ï 010-454-3937
¤±¼±¿Ü±â ¿¹¾à: ¢Ï 010-6400-2082
¡á ¹êµå: https://band.us/@geojedaefishing
(¿µµî »ç¸® ¹°¶§ ±¸°£ ´ë¹° Á¶È²ÀÔ´Ï´Ù!!!)
¢Ã ´ë¾î³¬½Ã ¼±¿Ü±â ´ë¿© ¢Ã
(4ÀνÂ)- 13¸¸¿ø, (3ÀνÂ) - 10¸¸¿ø / (2ÀνÂ) - 8¸¸¿ø / (1ÀνÂ)- 7¸¸¿ø.
¿µ¾÷±¸¿ª ³» Á¶Á¤¸éÇãÁõ ÇÊ¿ä ¾øÀ¸¹Ç·Î, ´©±¸³ª ÀÌ¿ëÀÌ °¡´ÉÇÕ´Ï´Ù.
¡Ø 16½Ã 30ºÐ±îÁö Ç×±¸ µµÂø~!!! ¾ÈÀü»ó ²À ½Ã°£ ¾ö¼ö ºÎʵ右´Ï´Ù~
ȸ»çÆÀ/±â¾÷ÆÀ/µ¿È£È¸ÆÀ/¼±»ó ³¬½Ã´ëȸµµ°¡´ÉÇÑ ÃæºÐÇÑ ÀοøÀ» ¼ö¿ë °¡´É.

(³»¸¸±Ç/ÁßÀå°Å¸® »ó½Ã ÃâÁ¶)
ÇѳªÀý:»õº®ºÎÅÍ ~ 2½Ã±îÁö(À¯µ¿Àû) 14¸¸¿ø
- ¹Ø¹ä,¹Ì³¢,µµ½Ã¶ô Á¦°ø, Ä¿ÇÇ, À½·á, »ý¼ö Á¦°ø
(³¬½Ë´ë) ±âº» 1.5È£~2È£´ë 530(°æÁú´ë ¼±È£)
(¸±) 4000¹ø~6000¹ø. ±Ç»ç·® 150~200¹ÌÅÍ ÃßõµÇ´Â ½ºÇǴ׸±.
(¶óÀÎ) ¿øÁÙ 4~6È£ ÇÃ·ÎÆÃ ¼¼¹ÌŸÀÔ, ¸ñÁÙ ÈķηÎÄ«º» 100% 4È£~6È£ ¼±È£.
(¹Ù´Ã) Âüµ¼ 8~12È£, Å¥¼Ç¶Ç´Â ¼öÁßÅ¥¼Ç -2B ~ -5B, Á¼½ÒºÀµ¹, ½ºÀ§º§µµ·¡
¡Øµ¶¹è´Â ½Ã°£ Á¶Á¤ °¡´ÉÇÕ´Ï´Ù.

¢Ë °ÅÁ¦´ë¾î³¬½Ã Âüµ¼ ½Ã»ó ³»¿ª ¢Ë ÀÏ 1¸í¾¿ ½Ã»óµË´Ï´Ù.
68Cm ÀÌ»ó - ÃÖ»ó±Þ ¿øÁÙ ÁõÁ¤

¡á »ýȰ³¬½Ã & ³¬½ÃüÇè
- »ó½Ã ¿¹¾à ÃâÁ¶ °¡´ÉÇÕ´Ï´Ù.
- ³¬Àº °í±â·Î ȸ½ä¾î µå¸³´Ï´Ù.
- ¸ö¸¸ ¿À½Ã¸é µË´Ï´Ù.(³¬½Ë´ë, ÀåºñÀÏÀýÁ¦°ø, ±¸¸íº¹ Á¦°ø)

¡Ú¾ÈÀü ÁÖÀÇ »çÇסÚ
- °ÅÁ¦´ë¾î³¬½Ã ¼±´Ü ÀÌ¿ë½Ã,¾ÈÀüÇÑ ³¬½Ã¸¦ À§ÇØ ¼±ÂøÀå Åë·Î ÀÌ¿ë½Ã
¹Ù´Ú ¹× ºÎ´ë½Ã¼³¿¡ ´ëÇØ ¹Ì²ø¸²À» ÁÖÀÇ ÇØ ÁÖ½Ã±æ ¹Ù¶ø´Ï´Ù. Åë·Î Á¿쿡
ÀÖ´Â ÇÚµéÀ» Àâ°í À̵¿ÇÏ½Ã¸é ¾ÈÀüÇÕ´Ï´Ù.
- ¼±ÂøÀå µµÂøÀü, ¹è¿¡¼­ ¹Ì¸® ³»¸®Áö ¸¶½Ã°í, ¹è°¡ Á¤¹ÚÇϰí, ·ÎÇÁ¸¦ ¹­Àº
µÚ¿¡ Çϼ±ÇØ ÁÖ½Ã±æ ¹Ù¶ø´Ï´Ù.

¡Ú´ë¾î³¬½Ã ¼±´Ü¡Ú
°ÅÁ¦ ´ë¾î³¬½Ã 1È£ ¤Ñ ¾ÈÁ©¶óÈ£
°ÅÁ¦ ´ë¾î³¬½Ã 2È£ ¤Ñ ¾Èµå·¹¾ÆÈ£
°ÅÁ¦ ´ë¾î³¬½Ã 3È£ ¤Ñ ¾ßÈ£(YAHO)
°ÅÁ¦ ´ë¾î³¬½Ã 4È£ ¤Ñ µ¹ÇÉÈ£
°ÅÁ¦ ´ë¾î³¬½Ã 5È£ ¤Ñ ¹Ì·¡È£
°ÅÁ¦ ´ë¾î³¬½Ã 6È£ ¤Ñ °ÅÁ¦¹Ù´ÙÈ£
°ÅÁ¦ ´ë¾î³¬½Ã 7È£ ¤Ñ »ç¶ûÈ£

¡á ÁÖº¯ Á¦ÈÞ ¹Î¹ÚÁý ¡á
¾ÆÁö¶û ¹Î¹Ú(´Üü-µ¶Ã¤) ¢Ï010-6400-2082
ÇØ¼Û±¼±¸À̹ιÚ(´Üü) ¢Ï010-2545-3755
°ÅÁ¦ ´ë¾î³¬½Ã ÁÖº¯ ÆÄ¶ó½ºÆÄÂòÁú¹æ °Ë»öÇÏ½Ã¸é µË´Ï´Ù.

°ÅÁ¦´ë¾î³¬½Ã ¼±¿Ü±â(¼±»ó)³¬½Ã ¿¹¾à(µ¶Ã¤ ¹Î¹Ú)
¢Ï 010-6400-2082 / ¢Ï 010-4547-3937
¤±¼±¿Ü±â: ¢Ï 010-6400-2082
¡á ¹êµå: https://band.us/@geojedaeeofishing

¡Úã¾Æ¿À½Ã´Â±æ¡Ú
¡ØÃâÇ×Áö: °ÅÁ¦½Ã °ÅÁ¦¸é ¹ýµ¿¸® 1074¹øÁö ¾ÆÁö¶û°æ·Î´ç ¹æÆÄÁ¦
»ç¹«½Ç :°ÅÁ¦½Ã °ÅÁ¦¸é ¼­Á¤¸® 746-3(GS25½ÃÆíÀÇÁ¡)°Ë»öÇÏ½Ã¸é ¹Ù·Î ¿· À§Ä¡
¡Ú¡Ú¡Ú½ÅºÐÁõ ²À ÁöÂüÇØÁÖ¼¼¿ä¡Ú¡Ú¡Ú
  • »ç¿ëÀÚ°¡ ¿Ã¸° À̹ÌÁö

 * °¡²û ±¤°í¸¦ Ŭ¸¯ÇØ ºÁ ÁÖ½Ã¸é ³¬¶û »çÀÌÆ® ¿î¿µ¿¡ µµ¿òÀÌ µË´Ï´Ù ^^
     
ÃÑ 0°³ÀÇ ´ñ±ÛÀÌ ÀÖ½À´Ï´Ù.

    ´ñ±Û¾²±â     [·Î±×ÀÎ] | [ȸ¿ø°¡ÀÔ]
 
 
4916(°¨¼ºµ¼)5Â¥¸¸ 4¸¶¸®~4Â¥ ÃÊÁßÈÄ ÆÇ¶¼±â ´ë¹ÚÁ¶È²~´ë¾î³¬½Ã(6ÀÏ ¿¹¾à) ¾Æ¶ó¹Ù¶÷26.04.03745
4915(°¨¼ºµ¼)ÃÊ´ë¹Ú 5Â¥~4Â¥ ´ë¹°ÆÀ ¿Ü ¸¶¸´¼ö ŸÀÛ ÆÀ~´ë¾î¼±¿Ü±â(6ÀÏ ¿¹¾à) ¾Æ¶ó¹Ù¶÷26.04.03771
4914(°¨¼ºµ¼)4Â¥ÈĹÝ(47Cm) 4Â¥ÃʹÝ(42Cm) µ¢Ä¡µé~Á¨Æ²È£(5ÀÏ ÃâÇ×È®Á¤) ¾Æ¶ó¹Ù¶÷26.04.03784
4913(°¨¼ºµ¼)´Ù ÅÍÀ𹬰í 4Â¥4Â¥4Â¥4Â¥4Â¥4Â¥ ¿Ü ÆÜÆÜ~¾ßÈ£(5ÀÏ ¿¹¾à) ¾Æ¶ó¹Ù¶÷26.04.03847
4912(°¨¼ºµ¼)4Â¥ºÎÅÍ 3Â¥±îÁö ´ã°í´ã°í ´ë¹Ú ¼Õ¸À~´ë¾çÈ£(5ÀÏ ¿¹¾à) ¾Æ¶ó¹Ù¶÷26.04.03822
4911(°¨¼ºµ¼)´ë¹° ¹°¶§ ½Ç½Ã°£ Àß»ý±ä 4Â¥·Î ½ÃÀÛ~Á¨Æ²È£(5ÀÏ ÃâÇ×È®Á¤) ¾Æ¶ó¹Ù¶÷26.04.031,177
4910(°¨¼ºµ¼)ÃÊ´ë¹Ú Á¶±âö¼ö~5Â¥~5Â¥±Þ 4Â¥ ¶¼°í±â ´ë¾î¼±¿Ü±â(4ÀÏ ¿¹¾à) ¾Æ¶ó¹Ù¶÷26.04.03425
4909(½Ç½Ã°£)¿µµî °¨¼ºµ¼ ºÒ°¨´ç 4¹æ ÆÃ~4Â¥ ŸÀÛ ñé ¾ßÈ£(4ÀÏ ¿¹¾à) ¾Æ¶ó¹Ù¶÷26.04.03401
4908(°¨¼ºµ¼)½Ç½Ã°£ »çÅõ ñé 5Â¥~4Â¥ °É¸é Å©´Ù~´ë¾î³¬½Ã(4ÀÏ ¿¹¾à) ¾Æ¶ó¹Ù¶÷26.04.03401
4907(´Ù´ëÆ÷)ºÎ½Ã¸®¶¼ Á¡·É ¼Õ¸À 100ÇÁ·Î ÆÛ ´ã¾Ò³×¿ä~¿ëÁøÈ£(5ÀÏ ¿¹¾à) ¾Æ¶ó¹Ù¶÷26.04.031,124
4906(º¼¶ô)¿ëÃÊ,ºñÁøµµ±Ç 20 25Cm ÀüÈÄ ¹Ý¦ Çǵù~°í°í½á´ÏÈ£(18½Ã ÃâÇ×) ¾Æ¶ó¹Ù¶÷26.04.031,138
4905(ÇØ±Ý°­±Ç)¿Õº¼¶ô ²ÉÀÌ È°Â¦~¾¾¾Ë ¸¶¸´¼ö OK~½Å¼ºÈ£(¿À´Ã ¿¹¾à) ¾Æ¶ó¹Ù¶÷26.04.03892
  1   2   3   4   5   6   7   8   9   10   

³¬½Ã»ç¶û¼Ò°³ | ¿À½Ã´Â±æ | ³¬½Ã»ç¶û¹è³Ê | ÀÌ¿ë¾à°ü | À̸ÞÀϹ«´Ü¼öÁý°ÅºÎ | °³ÀÎÁ¤º¸Ãë±Þ¹æÄ§ | ±Ç¸®Ä§ÇØ½Å°í¼¾ÅÍ
Copyright 1997~2022 (ÁÖ)À¥¶óÀÌÇÁ/³¬½Ã»ç¶û All rights reserved »ç¾÷ÀÚµî·Ï¹øÈ£ 110-81-42683
»ç¾÷Àå : ¼­¿ïƯº°½Ã ¿µµîÆ÷±¸ ¿µµîÆ÷·Î 374, 3Ãþ
[±¤°í/Á¦ÈÞ ¹× Ãßõ»óǰ µî·Ï¹®ÀÇ]     [³¬½ÃÅÍ ¹× ³¬½Ë¹è µî·Ï¹®ÀÇ]     [¹Î¿ø/°ÇÀÇ/½Å°í]     [¸ÞÀϹ®ÀÇ]     [¹®ÀÇ(FAX) 02-2634-2730]