|
ƯÆÄ¿ø(ÃâÁ¶Á¡)Á¶È²Á¤º¸
|
- º» °Ô½Ã¹°À» ¹«´Ü ´Ù¿î·Îµå, µµ¿ë, Àοë, ¸µÅ© ±ÝÁö.
|
HOME >¹Ù´Ù³¬½Ã >ƯÆÄ¿ø(ÃâÁ¶Á¡)Á¶È²Á¤º¸ |
 |
|
 |
|
ºÒ°¨´ç ÅÁ ÅÁ Ãѽî°í 5Â¥ 4Â¥ µ¢Ä¡µé·Î~ 6ÀÏ(¿ù¿äÀÏ) °ÅÁ¦ ¾îÃÊ¿©¹ç °¨¼ºµ¼³¬½Ã "°ÅÁ¦´ë¾î³¬½Ã" (ö¼ö)ÇÖÁ¶È²ÀÔ´Ï´Ù. ¡Ø °¨¼ºµ¼ 53Cm Âüµ¼ 68CmÀÌ»ó(ìí1¸í) ´ë¾î&¾ÆÁöÄ«À̺¥Æ® ÃÖ°í±Þ¿øÁÙ ÁõÁ¤!!!
¡Ù 7ÀÏ(È¿äÀÏ) °ÅÁ¦ ¾îÃÊ¿©¹ç °¨¼ºµ¼ È긲³¬½Ã "¿¹¾à°¡´É" (7ÀÏ 12¹°, °£Á¶: 05:19 ¸¸Á¶: 11:05 ) (°¨¼ºµ¼)¸ñÁ٠ưưÈ÷~5Â¥ ¿Ü 4Â¥ ÃÊÁß¹Ý ¸¶¸´¼ö Á¶È²!!! ¡Ú¡Ú¿µµîö ´ë¹° ½ÃÁð OPEN Âß~ ¿¹¾à °¡´É!!!¡Ú¡Ú
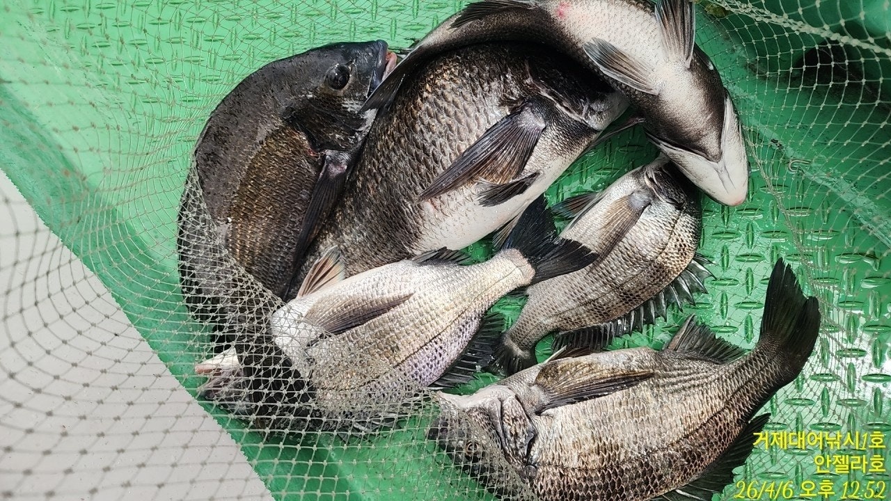
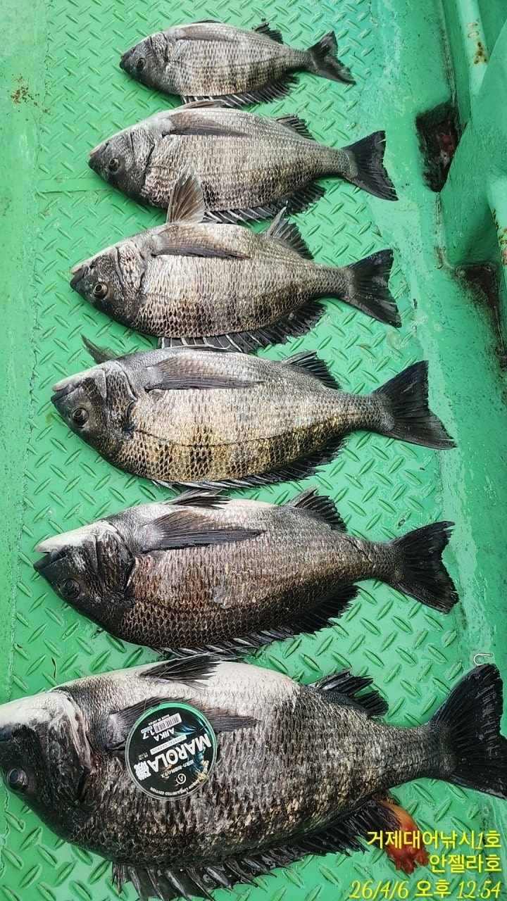
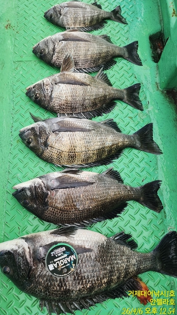
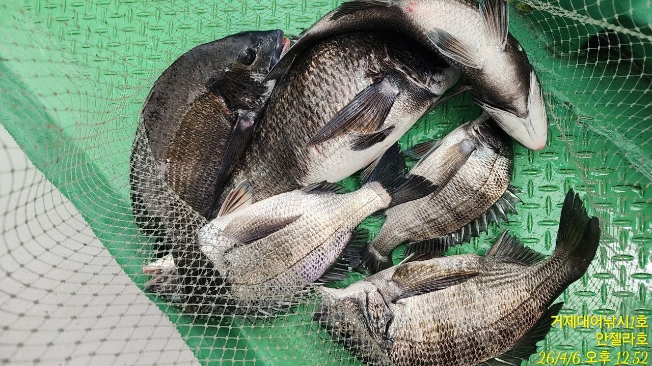
°ÅÁ¦´ë¾î³¬½Ã1È£ ´ë¹° °¨¼ºµ¼È긲³¬½Ã Á¶È²ÀÔ´Ï´Ù.¿µµîö ´ë¹° °¨¼ºµ¼µéÀÌ ²ÙÁØÇÑ ¹ÝÀÀÀ» º¸¿©ÁÝ´Ï´Ù~ µ¢Ä¡¸¦Å°¿î ³à¼®µéÀÌ¶ó ¼ø°£ÀûÀÎ ÆÄ¿ö°¡ »ó´çÇϳ׿ä. ´ë¹° 3¹æÅÁ ÅÁ Ãѽî°í 53.5Cm ´ë¹° ¿Ü 4Â¥ 4Â¥ 4Â¥ 4Â¥ µ¢Ä¡µé·Î¼Õ¸À Áñ±â°í ¸¶¹«¸® Çß½À´Ï´Ù. ÇÑ ¹æ ÀÖ´Â ½ÃÁð ¸ñÁ٠ưưÈ÷ÁغñÇϼż ±â·Ï °í±â¿¡ µµÀüÇØº¸½Ê½Ã¿À ³»ÀÏ ¿¹¾à °¡´ÉÇÕ´Ï´Ù.°ÅÁ¦´ë¾î³¬½Ã2È£ ´ë¹° °¨¼ºµ¼È긲³¬½Ã Á¶È²ÀÔ´Ï´Ù.¾îÁ¦ ÅÍÆ®¸° ³à¼®µéÀ» ³ë¸®¸ç ³ª¼± º¹¼öÀüÀÌ¿´Áö¸¸ ¿À´ÃµµÅÍÁö°í ºüÁö°í... »ó´çÇÑ ¾¾¾ËÀÇ ³ðµéÀÌ µ¹¾Æ´Ù´Ï´Â µí Çϳ׿ä.´ÙÇàÈ÷ ²ÙÁØÇÑ ÀÔÁúÀÌ À̾îÁö¸ç 4Â¥ 4Â¥ 4Â¥ 4Â¥ ¿Ü ÁßÄ¡±Þµé·ÎÂ¥¸´ÇÑ ¼Õ¸À Áñ±â°í ¸¶¹«¸® ÇÕ´Ï´Ù. ´ë¹°ÀÇ È®·üÀÌ °¡Àå ³ôÀº½Ã±âÀθ¸Å ¿øÁÙ ¸ñÁ٠ưưÇÏ°Ô ÁغñÇϼż ´ë¹° üÆ÷¿¡ µµÀüÇØº¸½Ê½Ã¿À ³»ÀÏ ¿¹¾à °¡´ÉÇÕ´Ï´Ù.7ÀÏ(È¿äÀÏ) °ÅÁ¦Ãâ¹ß ¾îÃÊ¿©¹ç ´ë¹° °¨¼ºµ¼³¬½Ã ¿¹¾à °¡´ÉÇÕ´Ï´Ù~°ÅÁ¦µµ ´ë¹°°¨¼ºµ¼ ¿µµîöÀÌ º»°Ý ½ÃÀ۵Ǿú½À´Ï´Ù. ´ë¹° ¼Õ¸Àº¸·¯ ¿À½ÇºÐ~¿À´Ãµµ °ÅÁ¦´ë¾î³¬½Ã¿Í ÇÔ²²ÇØÁֽŠÁ¶»ç´Ôµé ¼ö°í ¸¹À¸¼Ì½À´Ï´Ù.¡Ø ¼Õ¸À º¸½Ã°í ö¼ö ÇϽǶ§ ¿äû Áֽøé ÀâÀ¸½Å °í±â ¼ÒÁ¤ÀÇ ºñ¿ëÀ¸·Î ¼ÕÁú ÇØµå¸³´Ï´Ù~ ¼±Àå´Ô²² ¿äÃ»ÇØ ÁÖ¼¼¿ä~¢Ã °ÅÁ¦´ë¾î³¬½Ã ¾îÃÊ¿©¹ç °¨¼ºµ¼ /¼±¿Ü±â´ë¿© ÀÏÁ¤ ¾È³» ¢Ã¡Ù4¿ù 7ÀÏ(È) ÃâÁ¶ È®Á¤~ ¾îÃÊ¿©¹ç °¨¼ºµ¼³¬½Ã ¼±¿Ü±â´ë¿© "¿¹¾à°¡´É"¡Ù4¿ù 8ÀÏ(¼ö) ÃâÁ¶ È®Á¤~ ¾îÃÊ¿©¹ç °¨¼ºµ¼³¬½Ã ¼±¿Ü±â´ë¿© "¿¹¾à°¡´É"¡Ù4¿ù 9ÀÏ(¸ñ) ÃâÁ¶ È®Á¤~ ¾îÃÊ¿©¹ç °¨¼ºµ¼³¬½Ã ¼±¿Ü±â´ë¿© "¿¹¾à°¡´É"¡Ù4¿ù 10ÀÏ(±Ý) ÃâÁ¶ È®Á¤~ ¾îÃÊ¿©¹ç °¨¼ºµ¼³¬½Ã ¼±¿Ü±â´ë¿© "¿¹¾à°¡´É"¡Ù4¿ù 11ÀÏ(Åä) ÃâÁ¶ È®Á¤~ ¾îÃÊ¿©¹ç °¨¼ºµ¼³¬½Ã ¼±¿Ü±â´ë¿© "¿¹¾à°¡´É"¡Ù4¿ù 12ÀÏ(ÀÏ) ÃâÁ¶ È®Á¤~ ¾îÃÊ¿©¹ç °¨¼ºµ¼³¬½Ã ¼±¿Ü±â´ë¿© "¿¹¾à°¡´É"¡Ø ÁÁÀº Æ÷ÀÎÆ® ¼±Á¤À» À§ÇØ ¿¹¾àÀ» ¹Ì¸®¹Ì¸® ¼µÑ·¯ Áֽʽÿä.°ÅÁ¦´ë¾î³¬½Ã ¼±»ó³¬½Ã ¿¹¾à(µ¶Ã¤ ¹Î¹Ú ¿î¿µ)¹®ÀÇ ¢Ï 010-6400-2082 / ¢Ï 010-454-3937¤±¼±¿Ü±â ¿¹¾à: ¢Ï 010-6400-2082¤± ¹êµå: https://band.us/@geojdaeeofishing
°ÅÁ¦´ë¾î³¬½Ã´Â 1~7¼±´ÜÀ» ¿î¿µÇϰí ÀÖ½À´Ï´Ù.´ÜüÆÀ/ȸ»çÆÀ/±â¾÷ÆÀ/µ¿È£È¸ÆÀ/¼±»ó ³¬½Ã´ëȸµµ °¡´ÉÇÑ ÃæºÐÇÑ ÀοøÀ» ¼ö¿ë °¡´ÉÇÕ´Ï´Ù. ¢Ã °ÅÁ¦Ãâ¹ß ¢º»ç·®µµ Çѻ굵±Ç Á÷Ç× "µ¹¹®¾î³¬½Ã" ¢Ã - 04½Ã 30ºÐ Ãâ¹ß ~ ¿ÀÈÄ 1½Ã(À¯µ¿Àû) ö¼ö- µµ½Ã¶ô, »ý¼ö, Ä¿ÇÇ Á¦°øÇÕ´Ï´Ù.¢Ã µ¹¹®¾î »ýȰ³¬½Ã & ³¬½ÃüÇè ¢Ã ¸ö¸¸ ¿À½Ã¸é µË´Ï´Ù.- ³¬½Ë´ë, ÀåºñÀÏÀýÁ¦°ø, ±¸¸íº¹ Á¦°ø- °¡Á·µé, ¿©¸§ÈÞ°¡, ´ÜüÆÀµé ´ëȯ¿µ~ °¡¼ººñ ÁÁ½À´Ï´Ù.¡á Âüµ¼ È긲³¬½Ã (³»¸¸±Ç/ÁßÀå°Å¸® »ó½Ã ÃâÁ¶)ÇѳªÀý:»õº®ºÎÅÍ ~ 2½Ã±îÁö(À¯µ¿Àû) 14¸¸¿ø- ¹Ø¹ä,¹Ì³¢,µµ½Ã¶ô Á¦°ø, Ä¿ÇÇ, À½·á, »ý¼ö Á¦°ø(³¬½Ë´ë) ±âº» 1.5È£~2È£´ë 530(°æÁú´ë ¼±È£)(¸±) 4000¹ø~6000¹ø. ±Ç»ç·® 150~200¹ÌÅÍ ÃßõµÇ´Â ½ºÇǴ׸±.(¶óÀÎ) ¿øÁÙ 4~6È£ ÇÃ·ÎÆÃ ¼¼¹ÌŸÀÔ, ¸ñÁÙ ÈķηÎÄ«º» 100% 4È£~6È£ ¼±È£.(¹Ù´Ã) Âüµ¼ 8~12È£, Å¥¼Ç¶Ç´Â ¼öÁßÅ¥¼Ç -2B ~ -5B, Á¼½ÒºÀµ¹, ½ºÀ§º§µµ·¡¡Øµ¶¹è´Â ½Ã°£ Á¶Á¤ °¡´ÉÇÕ´Ï´Ù.¢Ë °ÅÁ¦´ë¾î³¬½Ã Âüµ¼ ½Ã»ó ³»¿ª ¢Ë ÀÏ 1¸í¾¿ ½Ã»óµË´Ï´Ù.68Cm ÀÌ»ó - ÃÖ»ó±Þ ¿øÁÙ ÁõÁ¤¡á ¼±¿Ü±â ´ë¿©(4ÀνÂ)- 13¸¸¿ø, (3ÀνÂ) - 10¸¸¿ø / (2ÀνÂ) - 8¸¸¿ø / (1ÀνÂ)- 7¸¸¿ø.¿µ¾÷±¸¿ª ³» Á¶Á¤¸éÇãÁõ ÇÊ¿ä ¾øÀ¸¹Ç·Î, ´©±¸³ª ÀÌ¿ëÀÌ °¡´ÉÇÕ´Ï´Ù.- ¼±¿Ü±â »ç¿ë±³À° 3ºÐÀÌ¸é ¹Ù·Î, ¿îÀüÇÏ½Ç ¼ö ÀÖ½À´Ï´Ù.¡Ú¾ÈÀü ÁÖÀÇ »çÇסÚ- °ÅÁ¦´ë¾î³¬½Ã ¼±´Ü ÀÌ¿ë½Ã,¾ÈÀüÇÑ ³¬½Ã¸¦ À§ÇØ ¼±ÂøÀå Åë·Î ÀÌ¿ë½Ã ¹Ì²ø¸²À» ÁÖÀÇ ÇØ ÁÖ½Ã±æ ¹Ù¶ø´Ï´Ù. Åë·Î Á¿쿡 ÀÖ´Â ÇÚµéÀ» Àâ°í À̵¿ÇÏ½Ã¸é ¾ÈÀüÇÕ´Ï´Ù.- ¼±ÂøÀåµµÂøÀü, ¹è¿¡¼ ¹Ì¸® ³»¸®Áö ¸¶½Ã°í, ¹è°¡ Á¤¹ÚÇϰí, ·ÎÇÁ¸¦ ¹Àº µÚ¿¡Çϼ±ÇØ ÁÖ½Ã±æ ¹Ù¶ø´Ï´Ù.¡Ú´ë¾î³¬½Ã ¼±´Ü¡Ú°ÅÁ¦ ´ë¾î³¬½Ã 1È£ ¤Ñ ¾ÈÁ©¶óÈ£°ÅÁ¦ ´ë¾î³¬½Ã 2È£ ¤Ñ ¾Èµå·¹¾ÆÈ£°ÅÁ¦ ´ë¾î³¬½Ã 3È£ ¤Ñ ¾ßÈ£(YAHO)°ÅÁ¦ ´ë¾î³¬½Ã 4È£ ¤Ñ µ¹ÇÉÈ£°ÅÁ¦ ´ë¾î³¬½Ã 5È£ ¤Ñ ¹Ì·¡È£°ÅÁ¦ ´ë¾î³¬½Ã 6È£ ¤Ñ °ÅÁ¦¹Ù´ÙÈ£°ÅÁ¦ ´ë¾î³¬½Ã 7È£ ¤Ñ »ç¶ûÈ£¡á ÁÖº¯ Á¦ÈÞ ¹Î¹ÚÁý ¡á¾ÆÁö¶û ¹Î¹Ú(´Üü-µ¶Ã¤) ¢Ï010-6400-2082ÇØ¼Û±¼±¸ÀÌ¹Î¹Ú (´Üü) ¢Ï010-2545-3755°ÅÁ¦ ´ë¾î³¬½Ã ÁÖº¯ ÆÄ¶ó½ºÆÄÂòÁú¹æ °Ë»öÇÏ½Ã¸é µË´Ï´Ù.¡á ȯºÒ ±ÔÁ¤ ¡á °ÅÁ¦´ë¾î³¬½Ã¿¡¼´Â ÃâÁ¶¿¡ ´ëÇÑ È¯ºÒ±ÔÁ¤À» ¾Æ·¡¿Í °°ÀÌ ¿î¿µÁßÀÔ´Ï´Ù."¿¹¾à¿Ï·á" È®Á¤½Ã ÃâÁ¶ºñ Àü¾× ȯºÒÀÌ µÇÁö ¾Ê½À´Ï´Ù.1ÀÏÀü, µµ½Ã¶ô°ú ¹Ø¹ä¿¡ µû¸¥ ½Çºñ¿Ü¿¡ ȯºÒ(ÃâÁ¶ÀÏ º¯°æ °¡´É)2ÀÏÀü, ÃâÁ¶ºñ Àü¾× ȯºÒ,"¿¹¾à ¿Ï·á" °øÁö ÀÌÈÄ, Ãë¼Ò ¿äû½Ã¿¡´Â ȯºÒµÇÁö ¾Ê½À´Ï´Ù.¡Úã¾Æ¿À½Ã´Â±æ¡Ú¡ØÃâÇ×Áö: °ÅÁ¦½Ã °ÅÁ¦¸é ¹ýµ¿¸® 1074¹øÁö ¾ÆÁö¶û°æ·Î´ç ¹æÆÄÁ¦¡Ú¡Ú¡Ú½ÅºÐÁõ ²À ÁöÂüÇØÁÖ¼¼¿ä¡Ú¡Ú¡Ú¢Ï °ÅÁ¦´ë¾î³¬½Ã ¼±»ó³¬½Ã ¿¹¾à(µ¶Ã¤ ¹Î¹Ú) ¹®ÀÇ¢Ï¢Ï 010-6400-2082 / ¢Ï 010-4547-3937¤±¼±¿Ü±â: ¢Ï 010-6400-2082¡á ¹êµå: https://band.us/@geojdaeeofishing
|
|
* °¡²û ±¤°í¸¦ Ŭ¸¯ÇØ ºÁ ÁÖ½Ã¸é ³¬¶û »çÀÌÆ® ¿î¿µ¿¡ µµ¿òÀÌ µË´Ï´Ù ^^
|
| |
|
|
|
|
|
|
ÃÑ 0°³ÀÇ ´ñ±ÛÀÌ ÀÖ½À´Ï´Ù.
|
|
|
|
| 4945 | | (¸Õ¹Ù´Ù)¼Óº¸ ´ëÆ÷ÇÑÄ¡ ½ÉÇØ°©ÀÌ ³¬°í³¬°í ¸Ô¹°ÆÄƼ °í°íÇǽÌ(12ÀÏ ÃâÇ×È®Á¤)  | | ¾Æ¶ó¹Ù¶÷ | | 26.04.09 | | 1,435 | | | | 4944 | | (º¼¶ô)°ÅÁ¦ Æò±Õ 25ÀüÈÄ GOOD»çÀÌÁî~28 ºò¿ø~°í°í½á´ÏÈ£(11ÀÏ ¿¹¾à)  | | ¾Æ¶ó¹Ù¶÷ | | 26.04.09 | | 1,457 | | | | 4943 | | (¹®¾î)2K 1.6K 1.4K1 1.2K..K±Þ È®½ÅÀÇ ¿øµµ±Ç~°¹ÎÈ£(11ÀÏ ¿¹¾à)  | | ¾Æ¶ó¹Ù¶÷ | | 26.04.08 | | 2,369 | | | | 4942 | | (¹®¾î)´ë¼º°ø ¿øµµ±Ç ¹Ù±Û¹Ù±Û KÀüÈĵé·Î À̸¸Å~Çö¼ÇǽÌ(11ÀÏ ¿¹¾à)  | | ¾Æ¶ó¹Ù¶÷ | | 26.04.08 | | 2,421 | | | | 4941 | | (¿øµµ±Ç)¹®¾î ²ÉÀÌ È°Â¦~1.4K~KÀüÈÄ ¸ÁÅÊÀÌÁ¶È²~¶ôÇǽÌ(11ÀÏ ¿¹¾à)2  | | ¾Æ¶ó¹Ù¶÷ | | 26.04.08 | | 2,490 | | | | 4940 | | °¨¼ºµ¼(ÇÖ ½Ç½Ã°£) ±½Âï±½Âï~ÂðÇÑ ¼Õ¸Àñé~´ë¾î³¬½Ã(9ÀÏ ¿¹¾à)  | | ¾Æ¶ó¹Ù¶÷ | | 26.04.08 | | 2,722 | | | | 4939 | | ¹®¾î(¿øµµ±Ç ½Ç½Ã°£) ¾Ñµû~¹¬Á÷ÇÏ´Ù 1.4K èâ ¾¾¾Ë±Â~Çö¼ÇǽÌ(11ÀÏ ¿¹¾à)  | | ¾Æ¶ó¹Ù¶÷ | | 26.04.08 | | 1,360 | | | | 4938 | | ¹®¾î¹è(¹®¾î) ¿øµµ±Ç È«µµ¿Í ¾È°æ¼¶±Ç Ű·Î¿À¹ö ÂÊÂÊ »Ì¾Æ¿ä~°¹ÎÈ£(11ÀÏ ¿¹¾à)  | | ¾Æ¶ó¹Ù¶÷ | | 26.04.08 | | 1,365 | | | | 4937 | | ¼±¿Ü±â(´ë¹Ú °¨¼ºµ¼ ½Ç½Ã°£) 5Â¥ 4Â¥¿Ü ¸¶¸®¼ö ¼Õ¸À~~´ë¾î¼±¿Ü±â(9ÀÏ ¿¹¾à)  | | ¾Æ¶ó¹Ù¶÷ | | 26.04.08 | | 449 | | | | 4936 | | ¹®¾î(¿øµµ±Ç ½Ç½Ã°£) 1.4Kg±îÁö~Ű·Î±Þ ÁÖ··ÁÖ··~¶ôÇǽÌ(¾ß°£ ³«Áö ³¬½Ã)  | | ¾Æ¶ó¹Ù¶÷ | | 26.04.08 | | 1,729 | | | | 4935 | | (°¨¼ºµ¼) 54 54 ´ë¹°µé ¿Ü 5Â¥ Âüµ¼ ´çÂù ¼Õ¸À~½Å¼ºÈ£(8ÀÏ ¿¹¾à) | | ¾Æ¶ó¹Ù¶÷ | | 26.04.07 | | 2,619 | | | | 4934 | | (°¨¼ºµ¼)4Â¥4Â¥3Â¥ ¸¶¸´¼ö ´ë¹Ú¾îÃÊ ½Â·ü 100ÇÁ·Î~´ë¾çÈ£(8ÀÏ ¿¹¾à) | | ¾Æ¶ó¹Ù¶÷ | | 26.04.07 | | 3,231 | | |
|
|

|
|

|
|
|