¾Æ¶ó¹Ù¶÷ > Âüµ¼(ÇØ±Ý°­±Ç) 7Â¥ ºò»çÀÌÁî ´ë±¸¸®~ÆÜ~ÆÜ~½Å¼ºÈ£(22ÀÏ ¿¹¾à) : ³¬½Ã»ç¶û
ȸ¿ø°¡ÀÔ | ·Î±×ÀΠ| ½ÃÀÛÆäÀÌÁö | Áñ°Üã±â | ¹®ÀÇ/¿äû/½Å°í
³¬½ÃÅͼ±Åà | Àαâ°Ë»ö¾î | ¹Î¹°ÈÄ¿ø³¬½ÃÅÍ | ¹Ù´ÙÈÄ¿øÅÍ
 
¹Î¹°³¬½Ã | Á´ë/À¯·áÅÍ | ¹Ù´Ù³¬½Ã | ·ç¾î³¬½Ã | Ä¿¹Â´ÏƼ | ³¬¶ûŬ·´ | ³¬½Ã½ºÄð | Áß°íÀåÅÍ | ³¬½ÃQ&A | »ç¿ë±â/°­Á | ÃâÁ¶Á¤º¸ | °ø±¸/¿ëǰÁ¤º¸

 Æ¯ÆÄ¿ø(ÃâÁ¶Á¡)Á¶È²Á¤º¸

- º» °Ô½Ã¹°À» ¹«´Ü ´Ù¿î·Îµå, µµ¿ë, Àοë, ¸µÅ© ±ÝÁö. HOME >¹Ù´Ù³¬½Ã >ƯÆÄ¿ø(ÃâÁ¶Á¡)Á¶È²Á¤º¸

¾Æ¶ó¹Ù¶÷
ÀÛ¼ºÀÏ : 2026-04-21 15:48:00 / Á¶È¸ : 3,009      

Á¦¸ñ l ¾Æ¶ó¹Ù¶÷ > Âüµ¼(ÇØ±Ý°­±Ç) 7Â¥ ºò»çÀÌÁî ´ë±¸¸®~ÆÜ~ÆÜ~½Å¼ºÈ£(22ÀÏ ¿¹¾à) : ³¬½Ã»ç¶û

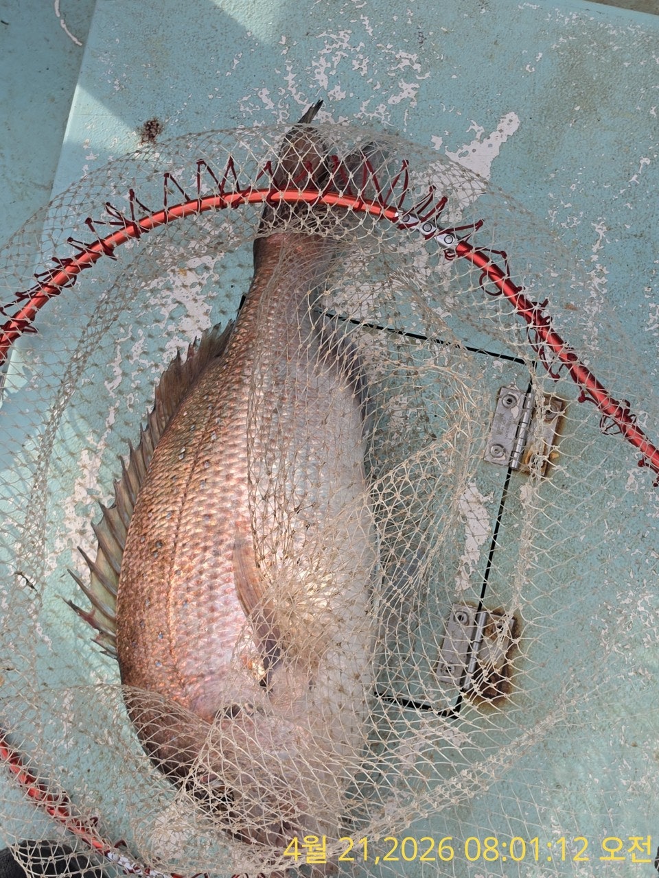
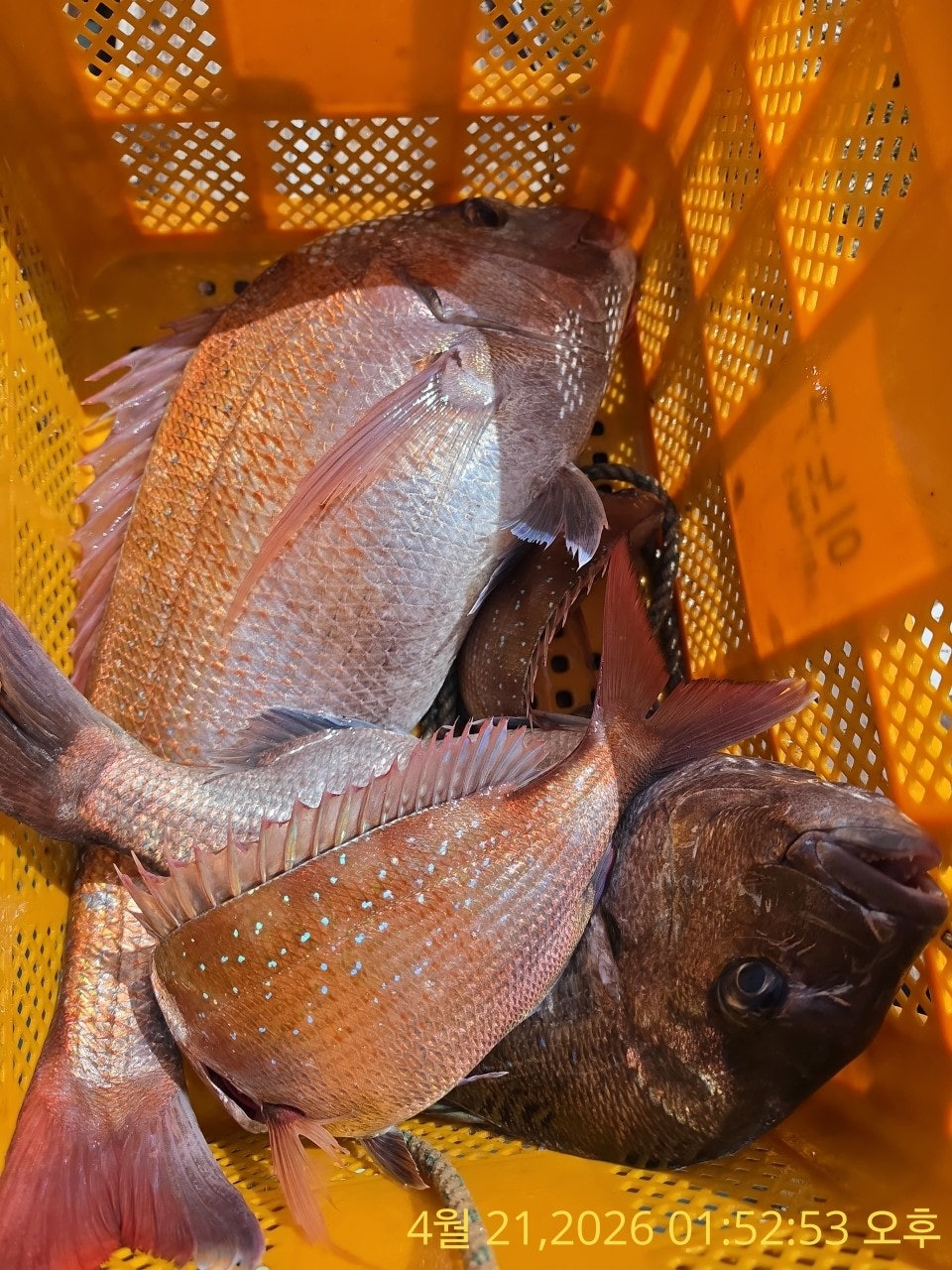
ÇØ±Ý°­±Ç È긲~ 7Â¥ ´ë¹° µîÀå~½ÃÁ𠺻°Ý °³½Ã!!!
21ÀÏ(È­) ÁÖ°£ ÇØ±Ý°­±Ç Âüµ¼ È긲³¬½Ã "½Å¼ºÈ£" (ö¼ö) ÇÖÁ¶È²ÀÔ´Ï´Ù.
¡Ø °¨¼ºµ¼ 53CmÀÌ»ó Æ÷ȹ½Ã, ¾ÆÁöÄ«(AJIKA)°í±Þ¶óÀÎ ÁõÁ¤ÇÕ´Ï´Ù 1¸í ½Ã»ó

¡Ù22ÀÏ(¼ö¿äÀÏ) ÁÖ°£ ÇØ±Ý°­±Ç Âüµ¼ È긲³¬½Ã "¿¹¾à°¡´É"
¡Ù22ÀÏ(¼ö¿äÀÏ) ¾ß°£ ÇØ±Ý°­±Ç ¿Õº¼¶ô ·ç¾î³¬½Ã "¿¹¾à°¡´É"
Âüµ¼(ÇØ±Ý°­±Ç ½Ç½Ã°£) ~7Â¥ ºò»çÀÌÁîµé ÆÜ~ÆÜ~ÆÜ~

°ÅÁ¦ ÇØ±Ý°­±Ç ÁÖ°£ Âüµ¼ ¾ß°£ º¼¶ô·ç¾î³¬½Ã ½Å¼ºÈ£ÀÔ´Ï´Ù.
ÁÁÀº ¹°¶§¿¡ ÁøÀÔÇÑ °ÅÁ¦µµ ÇØ±Ý°­±Ç, ¿À´ÃÀº ´ë¹° 7Â¥ ±½Àº Âüµ¼°ú ÇÔ²² ÆÄ¿ö
°¡ ³²´Þ¶ú´ø µ¢Ä¡±Þ ¾¾¾Ë·Î ¼Õ¸ÀÀ» ¸¶Ä¥ ¼ö ÀÖ¾ú½À´Ï´Ù. ¸î¼ö´Â ¾Æ½±°Ô ¾àÀº
ÀÔÁú¿¡ ijġ°¡ ´Ê±ä ÇßÁö¸¸, ÁÖ¸»±îÁö ÁÁÀº ¹°¶§ ±¸°£À¸·Î ÁøÀÔÇϸ鼭 ´ÙÀ½
ÃâÁ¶¿¡ ´ëÇÑ ±â´ë°¡ ³²´Ù¸¥ ÃâÁ¶±æÀÌ¿´½À´Ï´Ù. ÇØ±Ý°­±Ç Âüµ¼ ¾î±ºÀÌ Á¦´ë·Î
µé¾î ¿Â °Í °°½À´Ï´Ù.

22ÀÏ(¼ö¿äÀÏ)ÁÖ°£ ÇØ±Ý°­±Ç Âüµ¼ ¾ß°£ º¼¶ô·ç¾î ÃâÁ¶ÇÕ´Ï´Ù.
¿À´Ãµµ °ÅÁ¦ ½Å¼ºÈ£¸¦ ÀÌ¿ëÇØ Áּż­ °¨»çÇÕ´Ï´Ù.

¢Ã °ÅÁ¦ ½Å¼ºÈ£ ÃâÁ¶ ÀÏÁ¤ ¾È³» ¢Ã
¡Ù22ÀÏ(¼ö) ÁÖ°£ (4¸í ÀÚ¸®)ÇØ±Ý°­±Ç Âüµ¼ È긲³¬½Ã "¿¹¾à°¡´É"
¡Ù22ÀÏ(¼ö)¾ß°£ ÇØ±Ý°­±Ç º¼¶ô·ç¾î³¬½Ã "¿¹¾à°¡´É"
¡Ù23ÀÏ(¸ñ) ±â»ó¾ÇÈ­ ÈÞÇ×
¡Ù24ÀÏ(±Ý) ±â»ó¾ÇÈ­ ÈÞÇ×
¡Ù25ÀÏ(Åä) ÁÖ°£ ÇØ±Ý°­±Ç Âüµ¼ È긲³¬½Ã "¿¹¾à°¡´É"
¡Ù25ÀÏ(Åä)¾ß°£ ÇØ±Ý°­±Ç º¼¶ô·ç¾î³¬½Ã "¿¹¾à°¡´É"
¡Ù26ÀÏ(ÀÏ) ÁÖ°£ ÇØ±Ý°­±Ç Âüµ¼ È긲³¬½Ã "¿¹¾à°¡´É"
¡Ù26ÀÏ(ÀÏ)¾ß°£ ÇØ±Ý°­±Ç º¼¶ô·ç¾î³¬½Ã "¿¹¾à°¡´É"
¡Ø ÁÖ¸»Àº ÇÖÆ÷ÀÎÆ® ¼±Á¤ À§ÇØ ¹Ì¸®¹Ì¸® ¿¹¾àÀ» ÇØ µÎ½Ã¸é Æí¸®ÇÕ´Ï´Ù.

°ÅÁ¦ ½Å¼ºÈ£ ¢Ï010-2826-7133
(ÃâÇ×Áö µ¿°è) °ÅÁ¦½Ã ³²ºÎ¸é ´ÙÆ÷¸® 232-7
(ÃâÇ×Áö Çϰè) °ÅÁ¦½Ã µ¿ºÎ¸é ¿À¼Û7±æ
¢º ½Å¼ºÈ£ ¹êµå : https://band.us/@sinsungho
¡åÀü³¯ ÇÖÁ¶È²~Âüµ¼ ºÎ½Ã¸®µéÀÌ Á¦´ë·Î µé¾î ¿Ô½À´Ï´Ù.
(¾ß°£ º¼¶ô·ç¾î³¬½Ã Âß ¿¹¾à °¡´ÉÇÕ´Ï´Ù.)
1) ÁÖ°£ - °¨¼ºµ¼ ³¬½Ã
- ¿ÀÀü³¬½Ã: »õº® ~ 11½Ã ÀüÈÄ/7¸¸¿ø
- ¿ÀÈij¬½Ã : ¿ÀÈÄ1½Ã ~ ÇØÁú¶§±îÁö / 7¸¸¿ø (µ¶¹è½Ã ½Ã°£ Á¶Á¤ °¡´É)
- Á¾Àϳ¬½Ã : 05:00 ~ 14:00(À¯µ¿Àû) / 10¸¸¿ø
(Á¾ÀÏ ÃâÁ¶¿¡´Â ¹Ø¹ä, ¹Ì³¢, µµ½Ã¶ô, Ä¿ÇÇ, »ý¼ö Æ÷ÇÔ)

2) ¾ß°£ º¼¶ô(·ç¾î) ³¬½Ã
(ÃâÁ¶½Ã°£) ¿ÀÈÄ 18½Ã ~ 24½Ã±îÁöÀ¯µ¿Àû) / 8¸¸¿ø
- µ¶¹è ¿¹¾à½Ã ½Ã°£ Á¶Á¤ °¡´ÉÇÕ´Ï´Ù.

3) »ýȰ³¬½Ã ¹× ³¬½ÃüÇè
(¿ÀÀü ÃâÁ¶ ½Ã°£) ¿ÀÀü / 6½Ã ~ 11½Ã ÀüÈÄ / 7¸¸¿ø
(¿ÀÈÄ ÃâÁ¶ ½Ã°£) ¿ÀÈÄ1½Ã ~ ÇØÁú¶§±îÁö / 7¸¸¿ø
(Á¾ÀÏ ³¬½Ã) ¿ÀÀü6½Ã ~ 14½Ã ÀüÈÄ/10¸¸¿ø (µ¶¹è½Ã ½Ã°£ Á¶Àý °¡´É)
- µ¶¹è ¿¹¾à½Ã ½Ã°£ Á¶Á¤ °¡´É.

°ÅÁ¦ ½Å¼ºÈ£ ¢Ï010-2826-7133
(ÃâÇ×Áö µ¿°è) °ÅÁ¦½Ã ³²ºÎ¸é ´ÙÆ÷¸® 232-7
(ÃâÇ×Áö Çϰè) °ÅÁ¦½Ã µ¿ºÎ¸é ¿À¼Û7±æ
¢º ½Å¼ºÈ£ ¹êµå : https://band.us/@sinsungho
¢º °èÁ¹øÈ£: ¼öÇù 2060-0018-3820 ±¸±Í¿Á
¢º ½Å¼ºÈ£ ¹êµå : https://band.us/@sinsungho
  • »ç¿ëÀÚ°¡ ¿Ã¸° À̹ÌÁö


 * °¡²û ±¤°í¸¦ Ŭ¸¯ÇØ ºÁ ÁÖ½Ã¸é ³¬¶û »çÀÌÆ® ¿î¿µ¿¡ µµ¿òÀÌ µË´Ï´Ù ^^
     
ÃÑ 0°³ÀÇ ´ñ±ÛÀÌ ÀÖ½À´Ï´Ù.

    ´ñ±Û¾²±â     [·Î±×ÀÎ] | [ȸ¿ø°¡ÀÔ]
 
 
5042(´Ù´ëÆ÷)Âüµ¼ ºÎ½Ã¸® ¹°°ñÀÚ¸® ÃÒ¶ó¶ó ´ç°Ü°©´Ï´Ù~¿ëÁøÈ£(25ÀÏ ¿¹¾à) ¾Æ¶ó¹Ù¶÷26.04.23239
5041(¾ß°£)³«Áö ¹Ý ¹®¾î ¹Ý Â÷°î Â÷°î~¸¶¸´¼ö OK~Çö¼­ÇǽÌ(25ÀÏ ¿¹¾à) ¾Æ¶ó¹Ù¶÷26.04.23569
5040(ÇÑÄ¡)³­¸®¹ý¼® Àü¿ø Äð·¯Á¶È²~´ëÆ÷ »çÀÌÁî±îÁö ÆÜÆÜ~ÇØ½ÅÈ£(26ÀÏ ¿¹¾à) ¾Æ¶ó¹Ù¶÷26.04.23677
5039(±«¹°)¿øµµ±Ç 3.49K ƯÓÞ¹®¾î èâ ¸¶¸´¼ö À̾¿ä~°­¹ÎÈ£(25ÀÏ ¿¹¾à) ¾Æ¶ó¹Ù¶÷26.04.221,624
5038(µµ´Ù¸®)´ë¹Ú ¸¶¸´¼ö ½¯ Æ´ ¾øÀÌ Àâ°í ÀÔ¸À±îÁö~¼ö´ÞÈ£(26ÀÏ ¿¹¾à) ¾Æ¶ó¹Ù¶÷26.04.221,591
5037(Âüµ¼)ÃÊ´ë¹Ú ¼¼ ºÐ ´ã°í ÆÛ ´ã°í~M´ëºÎ½Ã¸®±îÁö~´ë¾çÈ£(24ÀÏ ¿¹¾à) ¾Æ¶ó¹Ù¶÷26.04.221,618
5036(°¨¼ºµ¼)8¹øÀÇ ÃѼҸ® 5Â¥±Þ~4Â¥3Â¥ ¸¶¸´¼ö ÆÀ±îÁö~¼±¿Ü±â(23ÀÏ ¿¹¾à) ¾Æ¶ó¹Ù¶÷26.04.221,386
5035(È긲)°¨¼ºµ¼ 5Â¥4Â¥ ÆÇ¶¼±â ¿Ü Âüµ¼±îÁö ³­¸®¹ý¼®~´ë¾î³¬½Ã(23ÀÏ ¿¹¾à) ¾Æ¶ó¹Ù¶÷26.04.221,098
5034(ÇØ±Ý°­±Ç)Âüµ¼ ½ÃÁð 5Â¥4Â¥ ¿Ü 21ÀÏ 7Â¥ ¼Ò½Ä~½Å¼ºÈ£(25ÀÏ ¿¹¾à) ¾Æ¶ó¹Ù¶÷26.04.221,043
5033(°¨¼ºµ¼)ÃÊ´ë¹Ú ½Ç½Ã°£ 5Â¥5Â¥5Â¥ ¿Ü 4Â¥ ¶¼°í±â~´ë¾î³¬½Ã(23ÀÏ ¿¹¾à) ¾Æ¶ó¹Ù¶÷26.04.22721
5032(ÇÑÄ¡)¿ì´çÅÁÅÁ ´ëÆ÷ »çÀÌÁî~½Ö°ÉÀ̱îÁö ÆÜÆÜ~ÇØ½ÅÈ£(24ÀÏ ¿¹¾à) ¾Æ¶ó¹Ù¶÷26.04.221,059
5031(ÇÑÄ¡)ù 100¼ö ¿À¹ö~123µî ÇÕ 270¿©¼ö ÃÊ´ë¹Ú~°í°íÇǽÌ(24ÀÏ ¿¹¾à) ¾Æ¶ó¹Ù¶÷26.04.221,113
  1   2   3   4   5   6   7   8   9   10   

³¬½Ã»ç¶û¼Ò°³ | ¿À½Ã´Â±æ | ³¬½Ã»ç¶û¹è³Ê | ÀÌ¿ë¾à°ü | À̸ÞÀϹ«´Ü¼öÁý°ÅºÎ | °³ÀÎÁ¤º¸Ãë±Þ¹æÄ§ | ±Ç¸®Ä§ÇØ½Å°í¼¾ÅÍ
Copyright 1997~2022 (ÁÖ)À¥¶óÀÌÇÁ/³¬½Ã»ç¶û All rights reserved »ç¾÷ÀÚµî·Ï¹øÈ£ 110-81-42683
»ç¾÷Àå : ¼­¿ïƯº°½Ã ¿µµîÆ÷±¸ ¿µµîÆ÷·Î 374, 3Ãþ
[±¤°í/Á¦ÈÞ ¹× Ãßõ»óǰ µî·Ï¹®ÀÇ]     [³¬½ÃÅÍ ¹× ³¬½Ë¹è µî·Ï¹®ÀÇ]     [¹Î¿ø/°ÇÀÇ/½Å°í]     [¸ÞÀϹ®ÀÇ]     [¹®ÀÇ(FAX) 02-2634-2730]