¾Æ¶ó¹Ù¶÷ > (°¨¼ºµ¼)ÇÑ ºÐ ´ë¹Ú Á¶È² 4¹æ ÅÍÁö°í 4Â¥ 3¼ö~´ëµ¿³¬½Ã(25ÀÏ ¿¹¾à) : ³¬½Ã»ç¶û
ȸ¿ø°¡ÀÔ | ·Î±×ÀΠ| ½ÃÀÛÆäÀÌÁö | Áñ°Üã±â | ¹®ÀÇ/¿äû/½Å°í
³¬½ÃÅͼ±Åà | Àαâ°Ë»ö¾î | ¹Î¹°ÈÄ¿ø³¬½ÃÅÍ | ¹Ù´ÙÈÄ¿øÅÍ
 
¹Î¹°³¬½Ã | Á´ë/À¯·áÅÍ | ¹Ù´Ù³¬½Ã | ·ç¾î³¬½Ã | Ä¿¹Â´ÏƼ | ³¬¶ûŬ·´ | ³¬½Ã½ºÄð | Áß°íÀåÅÍ | ³¬½ÃQ&A | »ç¿ë±â/°­Á | ÃâÁ¶Á¤º¸ | °ø±¸/¿ëǰÁ¤º¸

 Æ¯ÆÄ¿ø(ÃâÁ¶Á¡)Á¶È²Á¤º¸

- º» °Ô½Ã¹°À» ¹«´Ü ´Ù¿î·Îµå, µµ¿ë, Àοë, ¸µÅ© ±ÝÁö. HOME >¹Ù´Ù³¬½Ã >ƯÆÄ¿ø(ÃâÁ¶Á¡)Á¶È²Á¤º¸

¾Æ¶ó¹Ù¶÷
ÀÛ¼ºÀÏ : 2026-04-26 14:26:15 / Á¶È¸ : 1,787      

Á¦¸ñ l ¾Æ¶ó¹Ù¶÷ > (°¨¼ºµ¼)ÇÑ ºÐ ´ë¹Ú Á¶È² 4¹æ ÅÍÁö°í 4Â¥ 3¼ö~´ëµ¿³¬½Ã(25ÀÏ ¿¹¾à) : ³¬½Ã»ç¶û

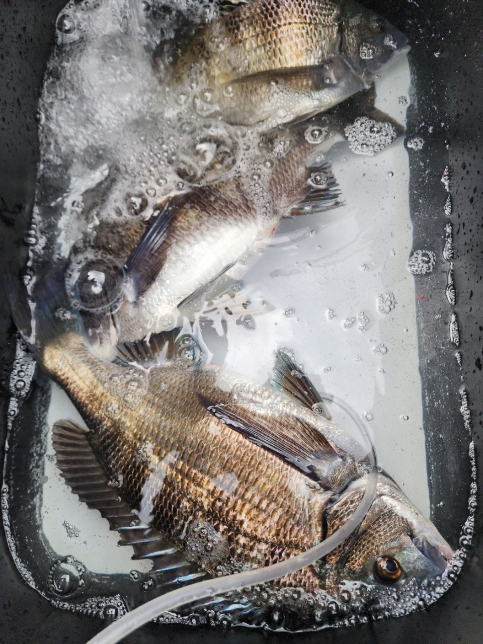
Á¶»ç´Ô ÇÑ ºÐ 4¹æ ÅÍÁö°í..´ë¹Ú ¼Õ¸À~
26ÀÏ(ÀÏ¿äÀÏ) °ÅÁ¦±Ç ´ë¹° °¨¼ºµ¼ ½ÃÁð, È긲³¬½Ã"´ëµ¿³¬½Ã" ÇÖÁ¶È²ÀÔ´Ï´Ù.
¡Ø Àü¿ë¼±Ã¼Á¦ ¿î¿µ °¨¼ºµ¼³¬½Ã ¿î¿µ. 53CmÀÌ»ó (ÀÏ 1¸í)¾ÆÁöÄ«¶óÀÎ ÁõÁ¤,

¡Ø ½Â·ü ³ôÀº ½Ã°£ ´ë ¿ÀÀü ÃâÁ¶ (¼±ºñ 8¸¸¿ø)
¡Ú 25ÀÏ(Åä¿äÀÏ) ÁÖ°£ °ÅÁ¦±Ç ´ë¹° °¨¼ºµ¼ ³¬½Ã "¿¹¾à °¡´É"
(°¨¼ºµ¼) ÇÑ ºÐ 4¹æ ÅÁ ÅÁ Ãѽî½Ã°í 4Â¥ ÀüÈÄ ´ë¹Ú ¼Õ¸À~

°ÅÁ¦ ¼ºÆ÷Ãâ¹ß ´ëµ¿³¬½ÃÀÔ´Ï´Ù.
³»¸¸±Ç °¨¼ºµ¼ ²ÙÁØÇÑ ¸¶¸´¼ö°¡ À̾îÁý´Ï´Ù~ Á¶»ç´Ô ÇÑ ºÐ°ú
ÁøÀÔÇÑ Æ÷ÀÎÆ® ¹Ø¹ä¿¡ ºü¸¥ ¹ÝÀÀÀ» º¸ÀÌ´Â °¨¼ºµ¼µé ´öºÐ¿¡
ºü¸£°Ô Âù½º°¡ ã¾Æ¿ÔÁö¸¸ ¸·°­ÇÑ ÆÄ¿ö¿¡ ÆÃ ÆÃ ÆÃ ÆÃ...
4¹æÀ̳ª ÅÍÁ®³ª°¡³×¿ä ´ÙÇàÈ÷ Á¦¹ý ¸¹Àº °³Ã¼¼ö°¡ ÁøÀÔÇÑ µí
4Â¥ µ¢Ä¡µé·Î ¸¶¸´¼ö ¼Õ¸À Áñ±â°í ö¼öÇß½À´Ï´Ù.
½Â·ü ³ô°í °¡¼ººñ ÀÖ´Â ¿ÀÀü ÃâÁ¶·Î Âß~ ¿¹¾à °¡´ÉÇÏ´Ï ÇÔ²²ÇϽÇ
ºÐµé ¿¬¶ôÁֽʽÿÀ.

5½Ã ÃâÇ× 11½Ã ö¼ö ¼±ºñ 8¸¸¿øÀ¸·Î ÁøÇàÇÏ´Ï ÇÔ²²ÇÏ½Ç ºÐµé
¿¬¶ôÁֽʽÿÀ.

27ÀÏ °ÅÁ¦±Ç ´ë¹°ÅÍ ¾îÃÊ¿©¹ç,°¨¼ºµ¼ È긲³¬½Ã ¿¹¾à ÀÚ¸® ÀÖ½À´Ï´Ù.
¿À´Ãµµ °ÅÁ¦´ëµ¿³¬½Ã¿Í ÇÔ²²ÇØÁֽŠÁ¶»ç´Ôµé ¼ö°í ¸¹À¸¼Ì½À´Ï´Ù.

¢Ã ´ëµ¿³¬½Ã ÃâÁ¶ ÀÏÁ¤ ¢Ã 365ÃâÁ¶!!! (¸ö¸¸ ¿À¼Åµµ OK)
¡Ø°³ÀÎÃâÁ¶ ȯ¿µ!!! (¸ðµçÀåºñ ¹«·á´ë¿©) ¡Ú¸ö¸¸¿À¼Åµµ µË´Ï´Ù.
¡Ú27ÀÏ (¿ù) ÁÖ°£,°ÅÁ¦±Ç °¨¼ºµ¼ ¿ÀÀü È긲³¬½Ã "¿¹¾à°¡´É"
¡Ú28ÀÏ (È­) ÁÖ°£,°ÅÁ¦±Ç °¨¼ºµ¼ ¿ÀÀü È긲³¬½Ã "¿¹¾à°¡´É"
¡Ú29ÀÏ (¼ö) ÁÖ°£,°ÅÁ¦±Ç °¨¼ºµ¼ ¿ÀÀü È긲³¬½Ã "¿¹¾à°¡´É"
¡Ú30ÀÏ (¸ñ) ÁÖ°£,°ÅÁ¦±Ç °¨¼ºµ¼ ¿ÀÀü È긲³¬½Ã "¿¹¾à°¡´É"
¡Ø ±â»ó¸¸ ÁÁÀ¸¸é 365ÀÏ ÃâÁ¶ÇÕ´Ï´Ù. ÁÖ¸» ¿¹¾àÀº ¹Ì¸®¹Ì¸® ¼­µÑ·¯ ÁÖ¼¼¿ä.

¢Ë´ëµ¿³¬½Ã ¢Ï010-4550-9017
¢Ã °ÅÁ¦½Ã »çµî¸é ¼ºÆ÷·Î 133(»çµî³óÇù¾Õ) °¨¼ºµ¼ Ư±ÞÆ÷ÀÎÆ® Á÷Ç×
¢Ã ¹êµå : https://band.us/@daedongho
¢Ã°ÅÁ¦±Ç °¨¼ºµ¼ Á¾ÀÏ ³¬½Ã ÁøÇàÁß ¢Ã

¢Ã°ÅÁ¦±Ç ¾ß°£ È£·¡±â³¬½Ã ÃâÁ¶ ¢Ã ½ÃÁð Á¾·á
¾ß°£ Àú³á 6½Ã Ãâ¹ß ~12½Ã±îÁö ¿î¿µ
¡Ø È£·¡±â Àåºñ ÀÏÀý ¹«·á ´ë¿©ÇÕ´Ï´Ù.
¡Ø¹«·á´ë¿©~ ¸ö¸¸ ¿À¸é µÇ´Â ÆíÇÑ ³¬½Ã~!!!!

¡Ú Ãʺ¸ÀÚµµ ½±°Ô Á¢±Ù °¡´ÉÇÑ µ¹¹®¾î³¬½Ã
¹®¾îüÇ賬½Ã´Â "¸ö¸¸ ¿À½Ã¸é µË´Ï´Ù"
- ¡Ú¡Ú¹«·á ´ë¿©¡Ú¡Ú ³¬½Ã´ë, ¸±, º£ÀÌÆ®¸±, ½ºÇǴ׸± µî »ó½Ã ÁغñÇϰí ÀÖ½À´Ï´Ù.
- ÀÌÁ¦ ¸ö¸¸ Æí¾ÈÈ÷ ¿À½Ã¸é, ³¬½Ã¸¦ Áñ±æ ¼ö ÀÖ°í, "Àü»ý¾îºÎ ±³À°"¼±ÀåÀÌ Á÷Á¢
ƼĪ Áö¿øÇØ µå¸®¸ç, ÃæºÐÈ÷ ¹®¾î¸¦ ³¬À» ¼ö ÀÖµµ·Ï °í°´´ÔµéÀ» ½ºÆ÷ÆÃ.
¡Ú°³ÀÎ ¹× °¡Á·ÆÀ, ´ÜüÆÀ ¾ðÁ¦³ª ȯ¿µÇÕ´Ï´Ù.

¡ÚÅ뿵 ¹®¾î¸ÀÁý - ´ëµ¿³¬½Ã
- Ÿ¿ì¸°ÀÌ Ç³ºÎÇØ ÇÇ·Îȸº¹¿¡ ÁÁÀº "¹®¾î¶ó¸é"°ú "¹®¾î¼÷ȸ" µî ǪÁüÇÑ ¸Ô°Å¸®
µµ´ëµ¿³¬½Ã¿¡¼­´Â °øÂ¥~

¢Ë´ëµ¿³¬½Ã ¢Ï010-4550-9017
¢Ã °ÅÁ¦½Ã »çµî¸é ¼ºÆ÷·Î 133(»çµî³óÇù¾Õ)
¢Ã ¹êµå : https://band.us/@daedongho¢Ã ¿¹¾à (¼öÇù) 2020-4222-9164 ÀÌÃá¼®
¡Ø½ÅºÐÁõ,±¸¸íº¹ Çʼö Áغñ, ¹è¿¡¼­ À½ÁÖ´Â ¹ýÀûÀ¸·Î ±ÝÁöµÇ¾î ÀÖ½À´Ï´Ù.
  • »ç¿ëÀÚ°¡ ¿Ã¸° À̹ÌÁö

 * °¡²û ±¤°í¸¦ Ŭ¸¯ÇØ ºÁ ÁÖ½Ã¸é ³¬¶û »çÀÌÆ® ¿î¿µ¿¡ µµ¿òÀÌ µË´Ï´Ù ^^
     
ÃÑ 0°³ÀÇ ´ñ±ÛÀÌ ÀÖ½À´Ï´Ù.

    ´ñ±Û¾²±â     [·Î±×ÀÎ] | [ȸ¿ø°¡ÀÔ]
 
 
5071°¨¼ºµ¼(Dday 3) 5Â¥±Þ¿Ü 4Â¥ 3Â¥ ¼Õ¸À ¸ö¸À~°ÅÁ¦´ë¾î³¬½Ã(28ÀÏ ¿¹¾à) ¾Æ¶ó¹Ù¶÷26.04.27323
5070Âüµ¼(ÇØ±Ý°­±Ç) 5Â¥ 4Â¥ 3Â¥ ¸¶¸®¼ö~ÅÁÅÁ ÅÍÁ®³ª°©´Ï´Ù~½Å¼ºÈ£(28ÀÏ ¿¹¾à) ¾Æ¶ó¹Ù¶÷26.04.27463
5069Âüµ¼(¿åÁö ¾îÃÊ) 8Â¥¿Ü 75 65 60 50ÀüÈÄ ¸¶¸®¼ö~°í¼ºº£ÀÌÈ£(28ÀÏ ¿¹¾à) ¾Æ¶ó¹Ù¶÷26.04.27621
5068¹®¾î¹è(ÓÞ¹®¾î) ÃÊÃÊ´ë¹Ú 4.18K ¿ª´ë±Þ °ø·æ üÆ÷~°­¹ÎÈ£(29ÀÏ ¿¹¾à) ¾Æ¶ó¹Ù¶÷26.04.27658
5067ºÎ»ê(´Ù´ëÆ÷) Âüµ¼¶¼ ºÎ½Ã¸®¶¼ µ¹µ¼ ¸ö¸À ¼Õ¸À±îÁö~¿ëÁøÈ£(28ÀÏ ¿¹¾à) ¾Æ¶ó¹Ù¶÷26.04.27666
5066¹®¾î(¿øµµ±Ç ½Ç½Ã°£) Ű·Î¿À¹öµé ±½Â﹬Âï~º£¸®±Â~¶ôÇǽÌ(28ÀÏ ¿¹¾à) ¾Æ¶ó¹Ù¶÷26.04.27676
5065Å뿵(ÇÑÄ¡) µû¹Úµû¹Ú ¾¾¾Ë~¸¶¸®¼ö±Â~±½Àº ¼Õ¸À~°í°íÇǽÌÈ£(5¿ù 1ÀÏ ¿¹¾à) ¾Æ¶ó¹Ù¶÷26.04.27379
5064½Ç½Ã°£(°¨¼ºµ¼) ±½Àº³ðµé °­ÇÏ°Ô ¹ÝÀÀ~´ëµ¿³¬½Ã(28ÀÏ ¿¹¾à)2 ¾Æ¶ó¹Ù¶÷26.04.27267
5063ÇØ½ÅÈ£(ÇÑÄ¡) ±½Àº³ðµé ³²Ç³¿¡ ¿¹¹Î~¾¾¾Ë ¸¶¸®¼ö~ÇØ½ÅÈ£(28ÀÏ ¿¹¾à) ¾Æ¶ó¹Ù¶÷26.04.27153
5062(°¨¼ºµ¼)5Â¥4Â¥ ¼±¿Ü±â ´ë¹° ÇàÁø~»§ ÁÁ°í Èû ÁÁ°í GOOD~(27ÀÏ ¿¹¾à) ¾Æ¶ó¹Ù¶÷26.04.261,404
5061(ÓÞ¹®¾î)ÃÊÃÊ´ë¹Ú 4.18K ¿ª´ë±Þ~5¸í µ¿½Ã HIT~°­¹ÎÈ£(27ÀÏ ¿¹¾à) ¾Æ¶ó¹Ù¶÷26.04.261,643
5060(°¨¼ºµ¼)5Â¥5Â¥4Â¥ ¿Ü ÁßÄ¡±Þ ¸¶¸´¼ö ¿ì´çÅÁÅÁ~´ë¾î³¬½Ã(27ÀÏ ¿¹¾à) ¾Æ¶ó¹Ù¶÷26.04.261,794
  1   2   3   4   5   6   7   8   9   10   

³¬½Ã»ç¶û¼Ò°³ | ¿À½Ã´Â±æ | ³¬½Ã»ç¶û¹è³Ê | ÀÌ¿ë¾à°ü | À̸ÞÀϹ«´Ü¼öÁý°ÅºÎ | °³ÀÎÁ¤º¸Ãë±Þ¹æÄ§ | ±Ç¸®Ä§ÇØ½Å°í¼¾ÅÍ
Copyright 1997~2022 (ÁÖ)À¥¶óÀÌÇÁ/³¬½Ã»ç¶û All rights reserved »ç¾÷ÀÚµî·Ï¹øÈ£ 110-81-42683
»ç¾÷Àå : ¼­¿ïƯº°½Ã ¿µµîÆ÷±¸ ¿µµîÆ÷·Î 374, 3Ãþ
[±¤°í/Á¦ÈÞ ¹× Ãßõ»óǰ µî·Ï¹®ÀÇ]     [³¬½ÃÅÍ ¹× ³¬½Ë¹è µî·Ï¹®ÀÇ]     [¹Î¿ø/°ÇÀÇ/½Å°í]     [¸ÞÀϹ®ÀÇ]     [¹®ÀÇ(FAX) 02-2634-2730]