¾Æ¶ó¹Ù¶÷ > Âüµ¼(¿åÁö ¾îÃÊ) 8Â¥¿Ü 75 65 60 50ÀüÈÄ ¸¶¸®¼ö~°í¼ºº£ÀÌÈ£(28ÀÏ ¿¹¾à) : ³¬½Ã»ç¶û
ȸ¿ø°¡ÀÔ | ·Î±×ÀΠ| ½ÃÀÛÆäÀÌÁö | Áñ°Üã±â | ¹®ÀÇ/¿äû/½Å°í
³¬½ÃÅͼ±Åà | Àαâ°Ë»ö¾î | ¹Î¹°ÈÄ¿ø³¬½ÃÅÍ | ¹Ù´ÙÈÄ¿øÅÍ
 
¹Î¹°³¬½Ã | Á´ë/À¯·áÅÍ | ¹Ù´Ù³¬½Ã | ·ç¾î³¬½Ã | Ä¿¹Â´ÏƼ | ³¬¶ûŬ·´ | ³¬½Ã½ºÄð | Áß°íÀåÅÍ | ³¬½ÃQ&A | »ç¿ë±â/°­Á | ÃâÁ¶Á¤º¸ | °ø±¸/¿ëǰÁ¤º¸

 Æ¯ÆÄ¿ø(ÃâÁ¶Á¡)Á¶È²Á¤º¸

- º» °Ô½Ã¹°À» ¹«´Ü ´Ù¿î·Îµå, µµ¿ë, Àοë, ¸µÅ© ±ÝÁö. HOME >¹Ù´Ù³¬½Ã >ƯÆÄ¿ø(ÃâÁ¶Á¡)Á¶È²Á¤º¸

¾Æ¶ó¹Ù¶÷
ÀÛ¼ºÀÏ : 2026-04-27 11:04:21 / Á¶È¸ : 2,056      

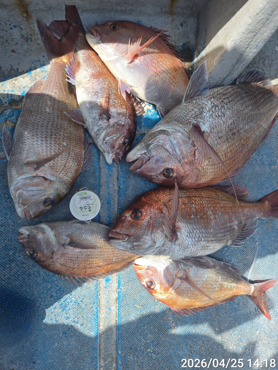
Á¦¸ñ l ¾Æ¶ó¹Ù¶÷ > Âüµ¼(¿åÁö ¾îÃÊ) 8Â¥¿Ü 75 65 60 50ÀüÈÄ ¸¶¸®¼ö~°í¼ºº£ÀÌÈ£(28ÀÏ ¿¹¾à) : ³¬½Ã»ç¶û

5È£ ¸ñÁÙ ÅÍÁ® ³ª°©´Ï´Ù~ ´ëÇü±Þµé Á¦´ë·Î ÀÔ¼º~
26ÀÏ(ÀÏ¿äÀÏ) ¿åÁö±Ç ÀÚ¿¬¾îÃÊ °¨¼ºµ¼ Âüµ¼ È긲³¬½Ã "°í¼ºº£ÀÌÈ£" Á¶È²ÀÔ´Ï´Ù.
¡Ø °¨¼ºµ¼ 53Cm ¾ÆÁöÄ«¶óÀÎ À̺¥Æ®, Ä«°í Àý´ë »çÀý~ÀÚ¿¬ ¾îÃÊ¿©¹ç È긲³¬½Ã!!!

¿åÁöµµ ÀÚ¿¬¾îÃ求 Âüµ¼ ½ÃÁð OPEN~
¡Ù28ÀÏ(È­) 05½Ã Ãâ¹ß, ÀÚ¿¬¾îÃÊ °¨¼ºµ¼ Âüµ¼³¬½Ã "¿¹¾à°¡´É"
Âüµ¼(¿åÁö ¾îÃÊ) 8Â¥¿Ü 75 65 60 50ÀüÈÄ ¸¶¸®¼ö~

ÀÚ¿¬¾îÃ求 ´ë¹° °¨¼ºµ¼ Àü¹® ÃâÁ¶ °í¼º º£ÀÌÈ£ ÁÖ¸» Á¶È²ÀÔ´Ï´Ù.
°­·ÂÇÑ ´ë¹°µéÀÇ ¿òÁ÷ÀÓÀÌ º»°Ý ½ÃÀ۵Ǹ鼭 ÁÖ¸»¿¡´Â ´ëÇü Âüµ¼ 8Â¥¸¦ ºñ·ÔÇØ
75Cm 65Cm 60Cm »çÀÌÁî¿Í 50CmÀüÈÄ ¸¶¸´¼ö°¡ ³ª¿Ô½À´Ï´Ù. °£°£È÷ µé¾î
¿À´Â ´õ Å« ´ëÇü±ÞÀº ưưÇÑ 5È£ÁÙµµ ÅÍÁ® ³ª°¡¸é¼­ º»°ÝÀûÀÎ ´ëÇü Âüµ¼½ÃÁðÀ¸·Î
ÁøÀԵǴ °Í °°½À´Ï´Ù.³»ÀϺÎÅÍ 05½Ã ÃâÇ×ÇÕ´Ï´Ù

28ÀÏ(È­¿äÀÏ) 5½Ã Ãâ¹ß, °í¼ºÃâ¹ß, ÀÚ¿¬¾îÃÊ °¨¼ºµ¼ Âüµ¼³¬½Ã Á÷Ç×ÇÕ´Ï´Ù.
ÀÚ¿¬¾îÃʱǿ¡ ±½Àº °¨¼ºµ¼°ú Âüµ¼µéÀÌ ÇÔ²² ´ýºñ°í ÀÖ½À´Ï´Ù.
Âüµ¼½ÃÁð ÃʹÝ, ´ë¹°µéÀÌ ¹Ù±Û¹Ù±Û ÇÕ´Ï´Ù.
¿À´Ãµµ °í¼º º£ÀÌÈ£¿Í ÇÔ²²ÇØÁֽŠÁ¶»ç´Ôµé ¼ö°í ¸¹À¸¼Ì½À´Ï´Ù.

¢Ã °í¼ºº£ÀÌÈ£ ÀÚ¿¬ ¾îÃÊ ¿©¹ç È긲³¬½Ã ÃâÁ¶ ÀÏÁ¤ ¢Ã
¡Ú28ÀÏ(È­) 4¹°, ÀÚ¿¬¾îÃÊ ´ë¹° °¨¼ºµ¼ Âüµ¼³¬½Ã "¿¹¾à°¡´É"
¡Ú29ÀÏ(¼ö) 5¹°, ÀÚ¿¬¾îÃÊ ´ë¹° °¨¼ºµ¼ Âüµ¼³¬½Ã "¿¹¾à°¡´É"
¡Ú30ÀÏ(¸ñ) 6¹°, ÀÚ¿¬¾îÃÊ ´ë¹° °¨¼ºµ¼ Âüµ¼³¬½Ã "¿¹¾à°¡´É"
¡Ú5¿ù 1ÀÏ(±Ý) 7¹°, ÀÚ¿¬¾îÃÊ ´ë¹° °¨¼ºµ¼ Âüµ¼³¬½Ã "¿¹¾à°¡´É"
¡Ú5¿ù 2ÀÏ(Åä) 8¹°, ÀÚ¿¬¾îÃÊ ´ë¹° °¨¼ºµ¼ Âüµ¼³¬½Ã "¿¹¾à°¡´É"
¡Ú5¿ù 3ÀÏ(ÀÏ) 9¹°, ÀÚ¿¬¾îÃÊ ´ë¹° °¨¼ºµ¼ Âüµ¼³¬½Ã "¿¹¾à°¡´É"
¡Ø ÀÚ¿¬¾îÃÊ¿©¹ç ÁÖÁß, ÁÖ¸» ¿¹¾à °¡´ÉÇÕ´Ï´Ù.

¡á °í¼º º£ÀÌÈ£ ¢Ï010 4596 1782
¡á ÃâÇ×Áö : °í¼º±º »ï»ê¸é µÎÆ÷¸®177-16 ºí·ç¿þÀÏ ±Û·¥ÇÎÒ®
¡á ¹êµå : https://band.us/@bayho
¢Ã Âüµ¼³¬½Ã ÀÚ¿¬¾îÃÊ ¿©¹çÆ÷ÀÎÆ® °ø·« ¢Ã
1) (ÃâÇ×) ¿ÀÀü 6½Ã Ãâ¹ß, ¿ÀÈÄ 2½Ã°æ (À¯µ¿Àû)
2) ÃâÁ¶Áö¿ª: »ç·®µµ(Ãßµµ±Ç)
¿øµµ±Ç¿ª : ¿åÁöµµ, Á»縮µµ, °¥µµ±Ç
3) ¹Ø¹ä, ¹Ì³¢, µµ½Ã¶ô Á¦°ø
- Ä¿ÇÇ, »ý¼ö,À½·á µîÀº »ó½Ã ºñÄ¡µÇ¾î ÀÖ½À´Ï´Ù.

¢Ã ¾ÆÁöÄ«(AJIKA)¶óÀΠƯº°½Ã»ó ¢Ã
- ³¬½ÃÁÙȸ»ç ¾ÆÁöÄ«(AJIKA)¶óÀο¡¼­ °¨¼ºµ¼ 55CmÀÌ»ó
ÃÖ»ó±Þ¶óÀÎ "±¸·¹½ºÆä¼È"¿øÁÙ ÁõÁ¤(¹è¼Ûºñ ¹«·á)ÇÕ´Ï´Ù.

¡á °í¼º º£ÀÌÈ£ ¢Ï010 4598 1782
¡á ÃâÇ×Áö : °í¼º±º »ï»ê¸é µÎÆ÷¸®177-16 ºí·ç¿þÀÏ ±Û·¥ÇÎÒ®
¡á ¹êµå : https://band.us/@bayho
¡áºí·Î±× : https://blog.naver.com/bayfishing
  • »ç¿ëÀÚ°¡ ¿Ã¸° À̹ÌÁö

 * °¡²û ±¤°í¸¦ Ŭ¸¯ÇØ ºÁ ÁÖ½Ã¸é ³¬¶û »çÀÌÆ® ¿î¿µ¿¡ µµ¿òÀÌ µË´Ï´Ù ^^
     
ÃÑ 0°³ÀÇ ´ñ±ÛÀÌ ÀÖ½À´Ï´Ù.

    ´ñ±Û¾²±â     [·Î±×ÀÎ] | [ȸ¿ø°¡ÀÔ]
 
 
5084¹®¾î(¿øµµ±Ç) 2K±Þ Ű·Î¿À¹öèâ ۷αÞ~¶×¶×ÇÕ´Ï´Ù~°­¹ÎÈ£(2ÀÏ ¿¹¾à) ¾Æ¶ó¹Ù¶÷26.04.29250
5083(¼±¿Ü±â) ´ë¹°°¨¼ºµ¼ 5Â¥ 4Â¥ ¸·ÆÇ ¸·°­ÇÕ´Ï´Ù~´ë¾î¼±¿Ü±â(30ÀÏ ¿¹¾à ¾Æ¶ó¹Ù¶÷26.04.29271
5082²¿¸®º¬¿¡µ¼(¼±»ó È긲) Ž»ç¿¡ ¸¶¸®¼ö ¼Õ¸À~´ë¾î³¬½Ã(30ÀÏ ¿¹¾à) ¾Æ¶ó¹Ù¶÷26.04.29278
50817Â¥ Âüµ¼~8Â¥ ºÎ½Ã¸®¿Ü 5Â¥4Â¥ ¼Ò³ª±â ÀÔÁú~´ë¾çÈ£ (30ÀÏ ¿¹¾à) ¾Æ¶ó¹Ù¶÷26.04.29382
5080Âüµ¼(ÇØ±Ý°­±Ç) ´ëÇü±Þ ÃѼҸ®¿Ü ±½Àº 5Â¥¿Ü ¼Õ¸À~½Å¼ºÈ£(30ÀÏ ¿¹¾à)3 ¾Æ¶ó¹Ù¶÷26.04.29432
5079 (¹®¾î ³«Áö) ÁÖ°£ ¾ß°£ K¿À¹ö~¸¶¸´¼ö±îÁö ½ ½~Çö¼­ÇǽÌ(5¿ù 1ÀÏ ¿¹¾à) ¾Æ¶ó¹Ù¶÷26.04.29439
5078Âüµ¼(´ë¹Ú ½Ç½Ã°£) 7Â¥¿Ü 5Â¥µé~´ã°í ÆÛ´ã°í~´ë¾çÈ£(30ÀÏ ¿¹¾à) ¾Æ¶ó¹Ù¶÷26.04.29419
5077(°¨¼ºµ¼)51 51 47 46 45 ºÒ°¨´ç 2¹æ ÆÃ ÆÃ..´ë¾î³¬½Ã(29ÀÏ ¿¹¾à) ¾Æ¶ó¹Ù¶÷26.04.281,501
5076(´Ù´ëÆ÷)ÇÑÆÇ ½ÂºÎ Âüµ¼ ºÎ½Ã¸®¶¼ ¾¾¾Ë ¸¶¸´¼ö OK~¿ëÁøÈ£(29ÀÏ ¿¹¾à) ¾Æ¶ó¹Ù¶÷26.04.281,546
5075(Âüµ¼)½Ç½Ã°£ 5Â¥ÈĹÝ~4Â¥ µ¢Ä¡µé ¸¶¸´¼ö OK~½Å¼ºÈ£(29ÀÏ ¿¹¾à) ¾Æ¶ó¹Ù¶÷26.04.282,003
5074(°¨¼ºµ¼)½Ç½Ã°£ ´ë¹°¼Ò½Ä 5Â¥5Â¥ ¿Ü 4Â¥4Â¥ ñé~´ë¾î³¬½Ã(29ÀÏ ¿¹¾à) ¾Æ¶ó¹Ù¶÷26.04.282,031
5073(¸Õ¹Ù´Ù)´ëÆ÷ ÇÑÄ¡ ¾¾¾Ë·Î ½ÂºÎ °©¿À¡¾î±îÁö~°í°íÇǽÌ(1ÀÏ ¿¹¾à) ¾Æ¶ó¹Ù¶÷26.04.282,072
  1   2   3   4   5   6   7   8   9   10   

³¬½Ã»ç¶û¼Ò°³ | ¿À½Ã´Â±æ | ³¬½Ã»ç¶û¹è³Ê | ÀÌ¿ë¾à°ü | À̸ÞÀϹ«´Ü¼öÁý°ÅºÎ | °³ÀÎÁ¤º¸Ãë±Þ¹æÄ§ | ±Ç¸®Ä§ÇØ½Å°í¼¾ÅÍ
Copyright 1997~2022 (ÁÖ)À¥¶óÀÌÇÁ/³¬½Ã»ç¶û All rights reserved »ç¾÷ÀÚµî·Ï¹øÈ£ 110-81-42683
»ç¾÷Àå : ¼­¿ïƯº°½Ã ¿µµîÆ÷±¸ ¿µµîÆ÷·Î 374, 3Ãþ
[±¤°í/Á¦ÈÞ ¹× Ãßõ»óǰ µî·Ï¹®ÀÇ]     [³¬½ÃÅÍ ¹× ³¬½Ë¹è µî·Ï¹®ÀÇ]     [¹Î¿ø/°ÇÀÇ/½Å°í]     [¸ÞÀϹ®ÀÇ]     [¹®ÀÇ(FAX) 02-2634-2730]