¾Æ¶ó¹Ù¶÷ > °¨¼ºµ¼(Dday 3) 5Â¥±Þ¿Ü 4Â¥ 3Â¥ ¼Õ¸À ¸ö¸À~°ÅÁ¦´ë¾î³¬½Ã(28ÀÏ ¿¹¾à) : ³¬½Ã»ç¶û
ȸ¿ø°¡ÀÔ | ·Î±×ÀΠ| ½ÃÀÛÆäÀÌÁö | Áñ°Üã±â | ¹®ÀÇ/¿äû/½Å°í
³¬½ÃÅͼ±Åà | Àαâ°Ë»ö¾î | ¹Î¹°ÈÄ¿ø³¬½ÃÅÍ | ¹Ù´ÙÈÄ¿øÅÍ
 
¹Î¹°³¬½Ã | Á´ë/À¯·áÅÍ | ¹Ù´Ù³¬½Ã | ·ç¾î³¬½Ã | Ä¿¹Â´ÏƼ | ³¬¶ûŬ·´ | ³¬½Ã½ºÄð | Áß°íÀåÅÍ | ³¬½ÃQ&A | »ç¿ë±â/°­Á | ÃâÁ¶Á¤º¸ | °ø±¸/¿ëǰÁ¤º¸

 Æ¯ÆÄ¿ø(ÃâÁ¶Á¡)Á¶È²Á¤º¸

- º» °Ô½Ã¹°À» ¹«´Ü ´Ù¿î·Îµå, µµ¿ë, Àοë, ¸µÅ© ±ÝÁö. HOME >¹Ù´Ù³¬½Ã >ƯÆÄ¿ø(ÃâÁ¶Á¡)Á¶È²Á¤º¸

¾Æ¶ó¹Ù¶÷
ÀÛ¼ºÀÏ : 2026-04-27 16:01:45 / Á¶È¸ : 1,867      

Á¦¸ñ l ¾Æ¶ó¹Ù¶÷ > °¨¼ºµ¼(Dday 3) 5Â¥±Þ¿Ü 4Â¥ 3Â¥ ¼Õ¸À ¸ö¸À~°ÅÁ¦´ë¾î³¬½Ã(28ÀÏ ¿¹¾à) : ³¬½Ã»ç¶û

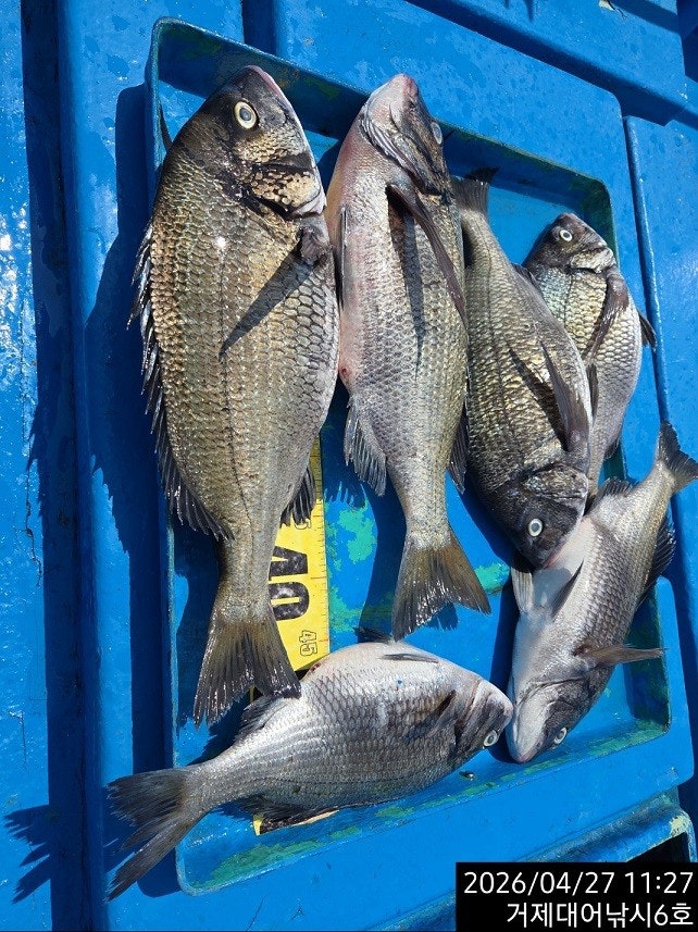
´ë¹° °¨¼ºµ¼ ½ÃÁð 3ÀÏ ³²¾Ò½À´Ï´Ù
27ÀÏ(¿ù¿äÀÏ) °ÅÁ¦µµ °¨¼ºµ¼ Âüµ¼ È긲³¬½Ã °ÅÁ¦´ë¾î³¬½Ã ö¼ö Á¶È²ÀÔ´Ï´Ù.
¡Ø°¨¼ºµ¼ 53Cm Âüµ¼ 68CmÀÌ»ó(ìí1¸í) ´ë¾î&¾ÆÁöÄ«À̺¥Æ® ÃÖ°í±Þ¿øÁÙ ÁõÁ¤!!!
¡Ø ÇÏÀý±â 6¿ùºÎÅÍ´Â °¨¼ºµ¼³¬½Ã - ¿ÀÀü³¬½Ã(¹Ý³ªÀý)·Î ¿î¿µµË´Ï´Ù.

¡Ù 28ÀÏ(È­) °¨¼ºµ¼ È긲³¬½Ã, ¼±¿Ü±â ´ë¿© "¿¹¾à°¡´É"
(28ÀÏ 4¹°, °£Á¶: 12:32 ¸¸Á¶: 06;30 )
(°¨¼ºµ¼) 5Â¥±Þ ´ë¹°°¨¼ºµ¼ ºý¼¾ ¼Õ¸À ¸ö¸À~

°ÅÁ¦´ë¾î³¬½Ã6È£ ´ë¹°°¨¼ºµ¼ È긲³¬½Ã Á¶È²ÀÔ´Ï´Ù.
¿À´ÃÀº 1ºÐ Á¶»ç´Ô°ú ¸îÀÏ ³²Áö ¾ÊÀº °¨¼ºµ¼ ½ÃÁð¿¡ ¾Æ½¬¿òÀ» ´ë¹° Æ÷ÀÎÆ®·Î
Á÷Ç×Çß½À´Ï´Ù. ¿ª½Ã~ »§ÁÁ°í ÈûÀÌ °­·ÂÇß´ø 5Â¥±Þ ´ë¹°°¨¼ºµ¼¿Ü 4Â¥,3Â¥µé
¸¶¸®¼ö·Î ÂðÇÑ ¼Õ¸ÀÀ» Áñ±â½Ã°í ¿À¼Ì½À´Ï´Ù. ÇÔ²²ÇϽŠÁ¶»ç´Ô °¨»çµå¸®¸ç
¼ö°íÇϼ̽À´Ï´Ù.³»ÀÏ ¿¹¾à°¡´ÉÇÕ´Ï´Ù

28ÀÏ(È­¿äÀÏ) °ÅÁ¦Ãâ¹ß ¾îÃÊ¿©¹ç ´ë¹° °¨¼ºµ¼³¬½Ã ¿¹¾à °¡´ÉÇÕ´Ï´Ù~
¿À´Ãµµ °ÅÁ¦´ë¾î³¬½Ã¸¦ ÀÌ¿ëÇØ ÁֽŠÁ¶»ç´Ô ¼ö°í ¸¹À¸¼Ì½À´Ï´Ù.
¡Ø ¼Õ¸À º¸½Ã°í ö¼ö ÇϽǶ§ ¿äû Áֽøé ÀâÀ¸½Å °í±â ¼ÒÁ¤ÀÇ ºñ¿ëÀ¸·Î ¼ÕÁú
ÇØµå¸³´Ï´Ù~ ¼±Àå´Ô²² ¿äÃ»ÇØ ÁÖ¼¼¿ä~

¢Ã °ÅÁ¦´ë¾î³¬½Ã °¨¼ºµ¼ È긲 /¼±¿Ü±â´ë¿© ÀÏÁ¤ ¾È³» ¢Ã
¡Ø ÇÏÀý±â (6~8¿ù) °¨¼ºµ¼³¬½Ã - ¿ÀÀü³¬½Ã(¹Ý³ªÀý)·Î ÃâÁ¶ÇÕ´Ï´Ù.
¡Ù28ÀÏ(È­) ÃâÁ¶ È®Á¤~ °¨¼ºµ¼ È긲³¬½Ã ¼±¿Ü±â´ë¿© "¿¹¾à°¡´É"
¡Ù29ÀÏ(¼ö) ÃâÁ¶ È®Á¤~ °¨¼ºµ¼ Âüµ¼ È긲³¬½Ã ¼±¿Ü±â´ë¿© "¿¹¾à°¡´É"
¡Ù30ÀÏ(¸ñ) ÃâÁ¶ È®Á¤~ °¨¼ºµ¼ Âüµ¼ È긲³¬½Ã ¼±¿Ü±â´ë¿© "¿¹¾à°¡´É"
¡Ù5¿ù 1ÀÏ(±Ý) ÃâÁ¶ È®Á¤~ °¨¼ºµ¼ Âüµ¼ È긲³¬½Ã ¼±¿Ü±â´ë¿© "¿¹¾à°¡´É"
¡Ù5¿ù 2ÀÏ(Åä) ÃâÁ¶ È®Á¤~ °¨¼ºµ¼ Âüµ¼ È긲³¬½Ã ¼±¿Ü±â´ë¿© "¿¹¾à°¡´É"
¡Ø ÁÁÀº Æ÷ÀÎÆ® ¼±Á¤À» À§ÇØ ¿¹¾àÀ» ¹Ì¸®¹Ì¸® ¼­µÑ·¯ Áֽʽÿä.

°ÅÁ¦´ë¾î³¬½Ã ¼±»ó³¬½Ã ¿¹¾à(µ¶Ã¤ ¹Î¹Ú ¿î¿µ)
¹®ÀÇ ¢Ï 010-6400-2082 / ¢Ï 010-454-39
¤±¼±¿Ü±â ¿¹¾à: ¢Ï 010-6400-2082
¤± ¹êµå: https://band.us/@geojdaeeofishing

¡å2026³â 4¿ù 29ÀϺÎÅÍ ¸Õ¹Ù´Ù Âüµ¼³¬½Ã¸¦ ÁøÇàÇÕ´Ï´Ù.(2025³â Âüµ¼ Á¶È² ÂüÁ¶)
°ÅÁ¦´ë¾î³¬½Ã´Â 1~7¼±´ÜÀ» ¿î¿µÇϰí ÀÖ½À´Ï´Ù.
´ÜüÆÀ/ȸ»çÆÀ/±â¾÷ÆÀ/µ¿È£È¸ÆÀ/¼±»ó ³¬½Ã´ëȸµµ °¡´ÉÇÑ ÃæºÐÇÑ ÀοøÀ» ¼ö¿ë
°¡´ÉÇÕ´Ï´Ù.

¢Ã °ÅÁ¦Ãâ¹ß°¨¼ºµ¼ È긲³¬½Ã, Âüµ¼³¬½Ã ¢Ã
¡Ø ÇÏÀý±â (6~8¿ù) °¨¼ºµ¼³¬½Ã - ¿ÀÀü³¬½Ã(¹Ý³ªÀý)·Î ÃâÁ¶ÇÕ´Ï´Ù.
- µµ½Ã¶ô, »ý¼ö, Ä¿ÇÇ Á¦°øÇÕ´Ï´Ù.

¢Ã µ¹¹®¾î »ýȰ³¬½Ã & ³¬½ÃüÇè ¢Ã ¸ö¸¸ ¿À½Ã¸é µË´Ï´Ù.
- ³¬½Ë´ë, ÀåºñÀÏÀýÁ¦°ø, ±¸¸íº¹ Á¦°ø
- °¡Á·µé, ¿©¸§ÈÞ°¡, ´ÜüÆÀµé ´ëȯ¿µ~ °¡¼ººñ ÁÁ½À´Ï´Ù.

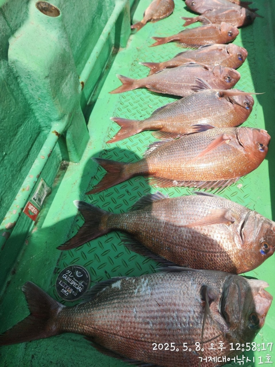
¡á Âüµ¼ È긲³¬½Ã (³»¸¸±Ç/ÁßÀå°Å¸® »ó½Ã ÃâÁ¶)
ÇѳªÀý:»õº®ºÎÅÍ ~ 2½Ã±îÁö(À¯µ¿Àû) 14¸¸¿ø
- ¹Ø¹ä,¹Ì³¢,µµ½Ã¶ô Á¦°ø, Ä¿ÇÇ, À½·á, »ý¼ö Á¦°ø
(³¬½Ë´ë) ±âº» 1.5È£~2È£´ë 530(°æÁú´ë ¼±È£)
(¸±) 4000¹ø~6000¹ø. ±Ç»ç·® 150~200¹ÌÅÍ ÃßõµÇ´Â ½ºÇǴ׸±.
(¶óÀÎ) ¿øÁÙ 4~6È£ ÇÃ·ÎÆÃ ¼¼¹ÌŸÀÔ, ¸ñÁÙ ÈķηÎÄ«º» 100% 4È£~6È£ ¼±È£.
(¹Ù´Ã) Âüµ¼ 8~12È£, Å¥¼Ç¶Ç´Â ¼öÁßÅ¥¼Ç -2B ~ -5B, Á¼½ÒºÀµ¹, ½ºÀ§º§µµ·¡
¡Øµ¶¹è´Â ½Ã°£ Á¶Á¤ °¡´ÉÇÕ´Ï´Ù.

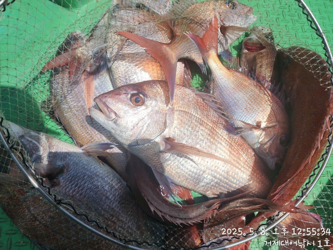
¢Ë °ÅÁ¦´ë¾î³¬½Ã Âüµ¼ ½Ã»ó ³»¿ª ¢Ë ÀÏ 1¸í¾¿ ½Ã»óµË´Ï´Ù.
68Cm ÀÌ»ó - ÃÖ»ó±Þ ¿øÁÙ ÁõÁ¤

¡á ¼±¿Ü±â ´ë¿©
¡Ø À¯°¡ ÀλóÀ¸·Î ÀÎÇØ 5¿ùºÎÅÍ ¾Æ·¡¿Í °°ÀÌ 1¸¸¿ø ¿ä±ÝÀÌ Á¶Á¤µË´Ï´Ù.
(4ÀνÂ)- 13¸¸¿ø, (3ÀνÂ) - 10¸¸¿ø / (2ÀνÂ) - 8¸¸¿ø / (1ÀνÂ)- 7¸¸¿ø/4¿ù¸» °¡°Ý.
¿µ¾÷±¸¿ª ³» Á¶Á¤¸éÇãÁõ ÇÊ¿ä ¾øÀ¸¹Ç·Î, ´©±¸³ª ÀÌ¿ëÀÌ °¡´ÉÇÕ´Ï´Ù.
- ¼±¿Ü±â »ç¿ë±³À° 3ºÐÀÌ¸é ¹Ù·Î, ¿îÀüÇÏ½Ç ¼ö ÀÖ½À´Ï´Ù.

¡Ú¾ÈÀü ÁÖÀÇ »çÇסÚ
- °ÅÁ¦´ë¾î³¬½Ã ¼±´Ü ÀÌ¿ë½Ã,¾ÈÀüÇÑ ³¬½Ã¸¦ À§ÇØ ¼±ÂøÀå Åë·Î ÀÌ¿ë½Ã ¹Ì²ø¸²À»
ÁÖÀÇ ÇØ ÁÖ½Ã±æ ¹Ù¶ø´Ï´Ù. Åë·Î Á¿쿡 ÀÖ´Â ÇÚµéÀ» Àâ°í À̵¿ÇÏ½Ã¸é ¾ÈÀüÇÕ´Ï´Ù.
- ¼±ÂøÀåµµÂøÀü, ¹è¿¡¼­ ¹Ì¸® ³»¸®Áö ¸¶½Ã°í, ¹è°¡ Á¤¹ÚÇϰí, ·ÎÇÁ¸¦ ¹­Àº µÚ¿¡
Çϼ±ÇØ ÁÖ½Ã±æ ¹Ù¶ø´Ï´Ù.

¡Ú´ë¾î³¬½Ã ¼±´Ü¡Ú
°ÅÁ¦ ´ë¾î³¬½Ã 1È£ ¤Ñ ¾ÈÁ©¶óÈ£
°ÅÁ¦ ´ë¾î³¬½Ã 2È£ ¤Ñ ¾Èµå·¹¾ÆÈ£
°ÅÁ¦ ´ë¾î³¬½Ã 3È£ ¤Ñ ¾ßÈ£(YAHO)
°ÅÁ¦ ´ë¾î³¬½Ã 4È£ ¤Ñ µ¹ÇÉÈ£
°ÅÁ¦ ´ë¾î³¬½Ã 5È£ ¤Ñ ¹Ì·¡È£
°ÅÁ¦ ´ë¾î³¬½Ã 6È£ ¤Ñ °ÅÁ¦¹Ù´ÙÈ£
°ÅÁ¦ ´ë¾î³¬½Ã 7È£ ¤Ñ »ç¶ûÈ£

¡á ÁÖº¯ Á¦ÈÞ ¹Î¹ÚÁý ¡á
¾ÆÁö¶û ¹Î¹Ú(´Üü-µ¶Ã¤) ¢Ï010-6400-2082
ÇØ¼Û±¼±¸ÀÌ¹Î¹Ú (´Üü) ¢Ï010-2545-3755
°ÅÁ¦ ´ë¾î³¬½Ã ÁÖº¯ ÆÄ¶ó½ºÆÄÂòÁú¹æ °Ë»öÇÏ½Ã¸é µË´Ï´Ù.

¡á ȯºÒ ±ÔÁ¤ ¡á
°ÅÁ¦´ë¾î³¬½Ã¿¡¼­´Â ÃâÁ¶¿¡ ´ëÇÑ È¯ºÒ±ÔÁ¤À» ¾Æ·¡¿Í °°ÀÌ ¿î¿µÁßÀÔ´Ï´Ù.
"¿¹¾à¿Ï·á" È®Á¤½Ã ÃâÁ¶ºñ Àü¾× ȯºÒÀÌ µÇÁö ¾Ê½À´Ï´Ù.
1ÀÏÀü, µµ½Ã¶ô°ú ¹Ø¹ä¿¡ µû¸¥ ½Çºñ¿Ü¿¡ ȯºÒ(ÃâÁ¶ÀÏ º¯°æ °¡´É)
2ÀÏÀü, ÃâÁ¶ºñ Àü¾× ȯºÒ,
"¿¹¾à ¿Ï·á" °øÁö ÀÌÈÄ, Ãë¼Ò ¿äû½Ã¿¡´Â ȯºÒµÇÁö ¾Ê½À´Ï´Ù.

¡Úã¾Æ¿À½Ã´Â±æ¡Ú
¡ØÃâÇ×Áö: °ÅÁ¦½Ã °ÅÁ¦¸é ¹ýµ¿¸® 1074¹øÁö ¾ÆÁö¶û°æ·Î´ç ¹æÆÄÁ¦
¡Ú¡Ú¡Ú½ÅºÐÁõ ²À ÁöÂüÇØÁÖ¼¼¿ä¡Ú¡Ú¡Ú

¢Ï °ÅÁ¦´ë¾î³¬½Ã ¼±»ó³¬½Ã ¿¹¾à(µ¶Ã¤ ¹Î¹Ú) ¹®ÀÇ¢Ï
¢Ï 010-6400-2082 / ¢Ï 010-4547-3937
¤±¼±¿Ü±â: ¢Ï 010-6400-2082
¡á ¹êµå: https://band.us/@geojdaeeofishing
  • »ç¿ëÀÚ°¡ ¿Ã¸° À̹ÌÁö

 * °¡²û ±¤°í¸¦ Ŭ¸¯ÇØ ºÁ ÁÖ½Ã¸é ³¬¶û »çÀÌÆ® ¿î¿µ¿¡ µµ¿òÀÌ µË´Ï´Ù ^^
     
ÃÑ 0°³ÀÇ ´ñ±ÛÀÌ ÀÖ½À´Ï´Ù.

    ´ñ±Û¾²±â     [·Î±×ÀÎ] | [ȸ¿ø°¡ÀÔ]
 
 
5084¹®¾î(¿øµµ±Ç) 2K±Þ Ű·Î¿À¹öèâ ۷αÞ~¶×¶×ÇÕ´Ï´Ù~°­¹ÎÈ£(2ÀÏ ¿¹¾à) ¾Æ¶ó¹Ù¶÷26.04.29250
5083(¼±¿Ü±â) ´ë¹°°¨¼ºµ¼ 5Â¥ 4Â¥ ¸·ÆÇ ¸·°­ÇÕ´Ï´Ù~´ë¾î¼±¿Ü±â(30ÀÏ ¿¹¾à ¾Æ¶ó¹Ù¶÷26.04.29271
5082²¿¸®º¬¿¡µ¼(¼±»ó È긲) Ž»ç¿¡ ¸¶¸®¼ö ¼Õ¸À~´ë¾î³¬½Ã(30ÀÏ ¿¹¾à) ¾Æ¶ó¹Ù¶÷26.04.29278
50817Â¥ Âüµ¼~8Â¥ ºÎ½Ã¸®¿Ü 5Â¥4Â¥ ¼Ò³ª±â ÀÔÁú~´ë¾çÈ£ (30ÀÏ ¿¹¾à) ¾Æ¶ó¹Ù¶÷26.04.29382
5080Âüµ¼(ÇØ±Ý°­±Ç) ´ëÇü±Þ ÃѼҸ®¿Ü ±½Àº 5Â¥¿Ü ¼Õ¸À~½Å¼ºÈ£(30ÀÏ ¿¹¾à)3 ¾Æ¶ó¹Ù¶÷26.04.29432
5079 (¹®¾î ³«Áö) ÁÖ°£ ¾ß°£ K¿À¹ö~¸¶¸´¼ö±îÁö ½ ½~Çö¼­ÇǽÌ(5¿ù 1ÀÏ ¿¹¾à) ¾Æ¶ó¹Ù¶÷26.04.29439
5078Âüµ¼(´ë¹Ú ½Ç½Ã°£) 7Â¥¿Ü 5Â¥µé~´ã°í ÆÛ´ã°í~´ë¾çÈ£(30ÀÏ ¿¹¾à) ¾Æ¶ó¹Ù¶÷26.04.29419
5077(°¨¼ºµ¼)51 51 47 46 45 ºÒ°¨´ç 2¹æ ÆÃ ÆÃ..´ë¾î³¬½Ã(29ÀÏ ¿¹¾à) ¾Æ¶ó¹Ù¶÷26.04.281,501
5076(´Ù´ëÆ÷)ÇÑÆÇ ½ÂºÎ Âüµ¼ ºÎ½Ã¸®¶¼ ¾¾¾Ë ¸¶¸´¼ö OK~¿ëÁøÈ£(29ÀÏ ¿¹¾à) ¾Æ¶ó¹Ù¶÷26.04.281,546
5075(Âüµ¼)½Ç½Ã°£ 5Â¥ÈĹÝ~4Â¥ µ¢Ä¡µé ¸¶¸´¼ö OK~½Å¼ºÈ£(29ÀÏ ¿¹¾à) ¾Æ¶ó¹Ù¶÷26.04.282,003
5074(°¨¼ºµ¼)½Ç½Ã°£ ´ë¹°¼Ò½Ä 5Â¥5Â¥ ¿Ü 4Â¥4Â¥ ñé~´ë¾î³¬½Ã(29ÀÏ ¿¹¾à) ¾Æ¶ó¹Ù¶÷26.04.282,031
5073(¸Õ¹Ù´Ù)´ëÆ÷ ÇÑÄ¡ ¾¾¾Ë·Î ½ÂºÎ °©¿À¡¾î±îÁö~°í°íÇǽÌ(1ÀÏ ¿¹¾à) ¾Æ¶ó¹Ù¶÷26.04.282,072
  1   2   3   4   5   6   7   8   9   10   

³¬½Ã»ç¶û¼Ò°³ | ¿À½Ã´Â±æ | ³¬½Ã»ç¶û¹è³Ê | ÀÌ¿ë¾à°ü | À̸ÞÀϹ«´Ü¼öÁý°ÅºÎ | °³ÀÎÁ¤º¸Ãë±Þ¹æÄ§ | ±Ç¸®Ä§ÇØ½Å°í¼¾ÅÍ
Copyright 1997~2022 (ÁÖ)À¥¶óÀÌÇÁ/³¬½Ã»ç¶û All rights reserved »ç¾÷ÀÚµî·Ï¹øÈ£ 110-81-42683
»ç¾÷Àå : ¼­¿ïƯº°½Ã ¿µµîÆ÷±¸ ¿µµîÆ÷·Î 374, 3Ãþ
[±¤°í/Á¦ÈÞ ¹× Ãßõ»óǰ µî·Ï¹®ÀÇ]     [³¬½ÃÅÍ ¹× ³¬½Ë¹è µî·Ï¹®ÀÇ]     [¹Î¿ø/°ÇÀÇ/½Å°í]     [¸ÞÀϹ®ÀÇ]     [¹®ÀÇ(FAX) 02-2634-2730]